highlight_off
Riferimento annuncio 313556 info

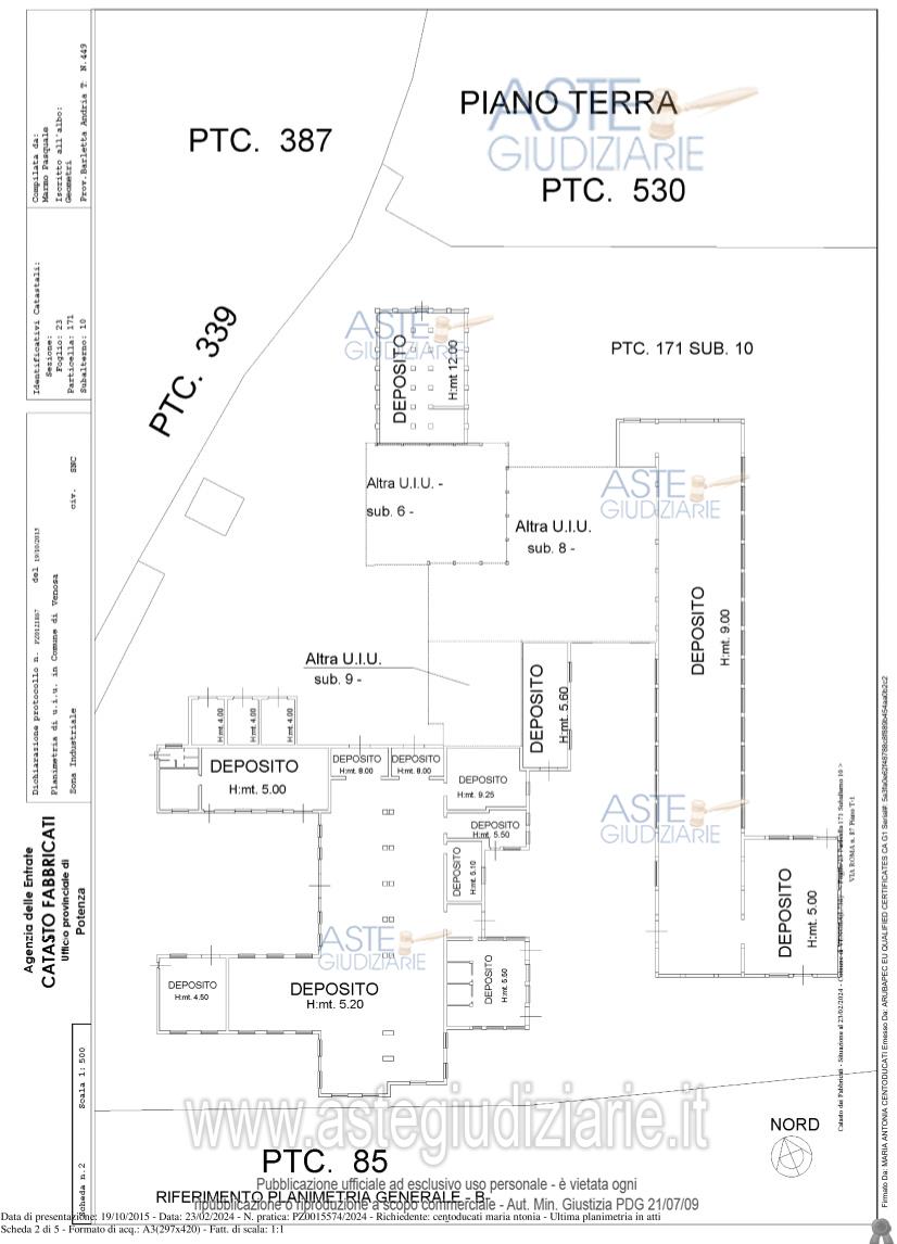
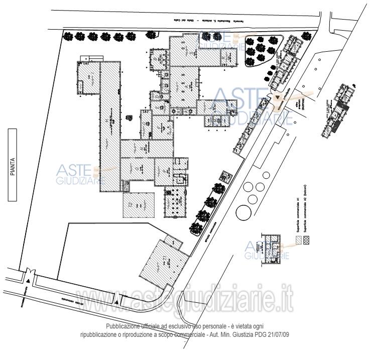
Fabbricato industriale c.da Tufarelle, 85029 Venosa (PZ)

9712,50
€ 2.300.000
Vendita all'asta Senza incanto, con gara telematica asincrona - LOTTO 1: piena ed intera proprietà (1/1) di un complesso edilizio completamente recintato, con tre accessi carrabili, composto da distinte unità aventi dimensioni e tipologie diverse (sei corpi di fabbrica), alcune delle quali intercomunicanti, dotati di pertinenziale piazzale al servizio degli stessi, siti in VENOSA (PZ) alla c.da Tufarelle ( ex cartiera). Prezzo base € 2.300.000,00 (offerta minima € 1.725.000,00). Data inizio operazioni di vendita: 06/11/2025 ore 11:00. Professionista delegato alla vendita Avv. Francesco Missanelli - Email "francescomissanelli@gmail.com"; Tel. 0971443116. Custode Giudiziario Avv. Francesco Missanelli - Email "francescomissanelli@gmail.com"; Tel. 0971443116. Rif. Tribunale di Potenza - Esecuzione immobiliare post legge 80 n. 122/2017

Superficie 9712,50 mq
Vani
Bagni
Piano

Tipologia di vendita Giudiziaria
Modalità di vendita Asincrona telematica
Termine presentazione offerte 01/01/1900 ore 00:00
Data e ora inizio gara 06/11/2025 ore 11:00
Codice ID astegiudiziarie.it 4334679
9712,50
€ 2.300.000

Ti interessa questa vendita?

north_east

Clicca qui per essere indirizzato alla scheda sul sito di provenienza

Bene di astegiudiziarie.it