highlight_off
Riferimento annuncio 306412 info

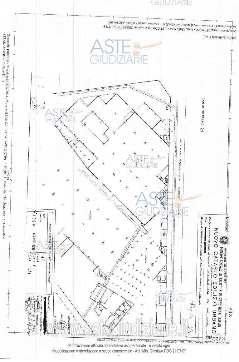
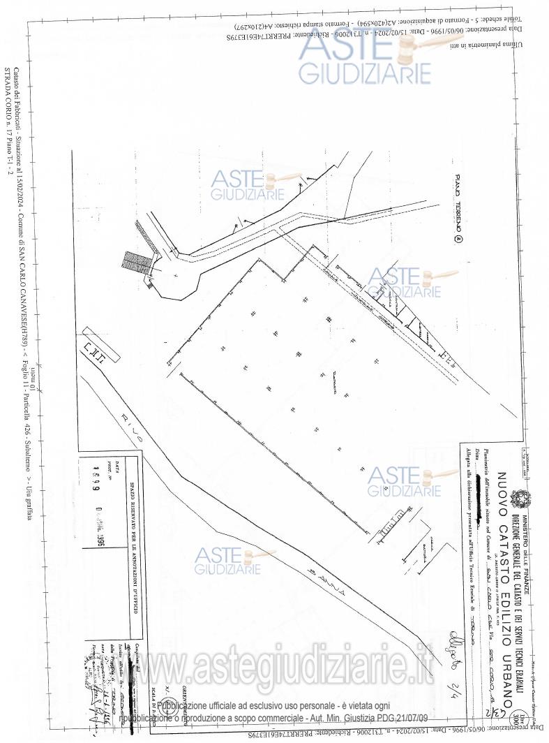
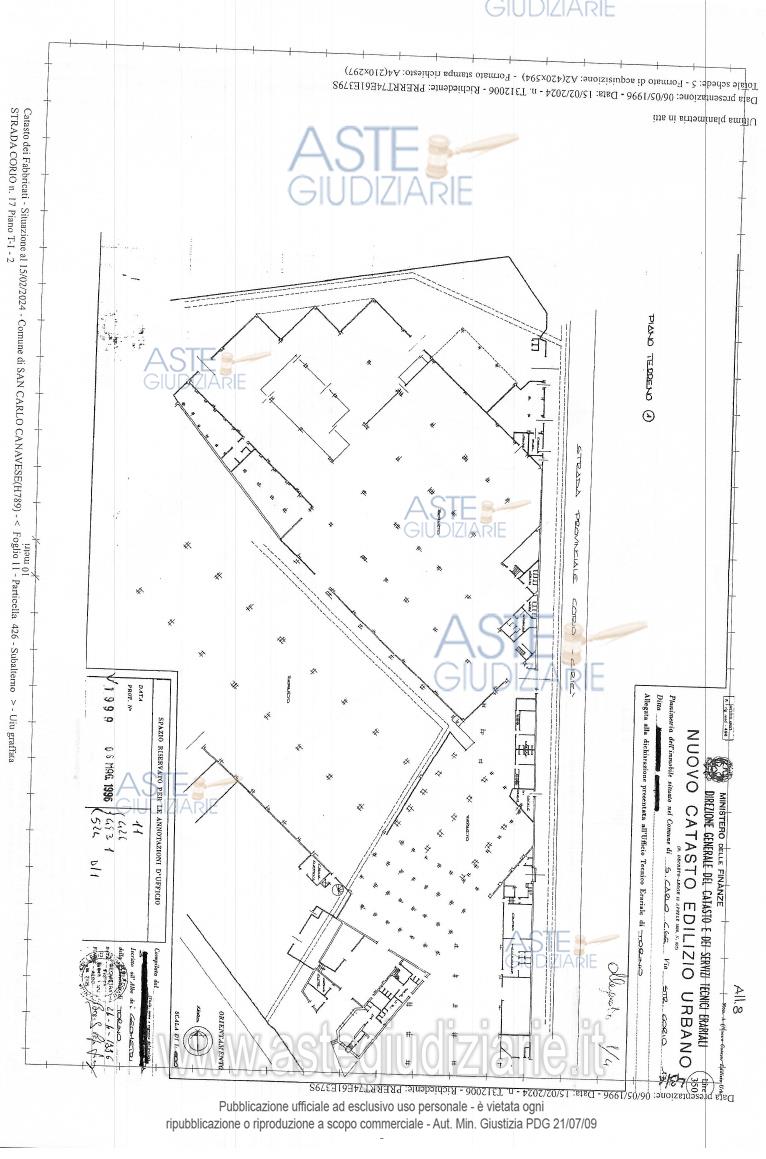
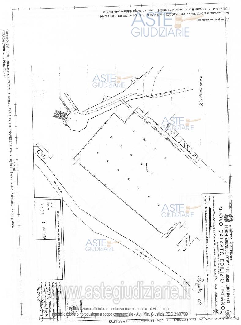
Fabbricato industriale Strada Corio, 17, 10070 San Carlo Canavese TO, Italia, 10070 San Carlo Canavese (TO)

31540,00
€ 5.164.000
Vendita all'asta Senza incanto, con gara telematica asincrona - LOTTO UNICO: COMPLESSO INDUSTRIALE E ALLOGGIO CUSTODE, OLTRE TERRENI IN CIRIE’ (TO). Prezzo base € 5.164.000,00 (offerta minima € 3.873.000,00). Data inizio operazioni di vendita: 25/11/2025 ore 10:00. Professionista delegato alla vendita Avv. Lorena Meritano. Custode Giudiziario Avv. Lorena Meritano - Email "studio.dcpm@libero.it". Rif. Tribunale di Ivrea - Espropriazione immobiliare (cartabia) n. 247/2023

Superficie 31540,00 mq
Vani
Bagni
Piano

Tipologia di vendita Giudiziaria
Modalità di vendita Asincrona telematica
Termine presentazione offerte 24/11/2025 ore 12:00
Data e ora inizio gara 25/11/2025 ore 10:00
Codice ID astegiudiziarie.it 4328841
31540,00
€ 5.164.000

Ti interessa questa vendita?

north_east

Clicca qui per essere indirizzato alla scheda sul sito di provenienza

Bene di astegiudiziarie.it