highlight_off
Riferimento annuncio 90177 info

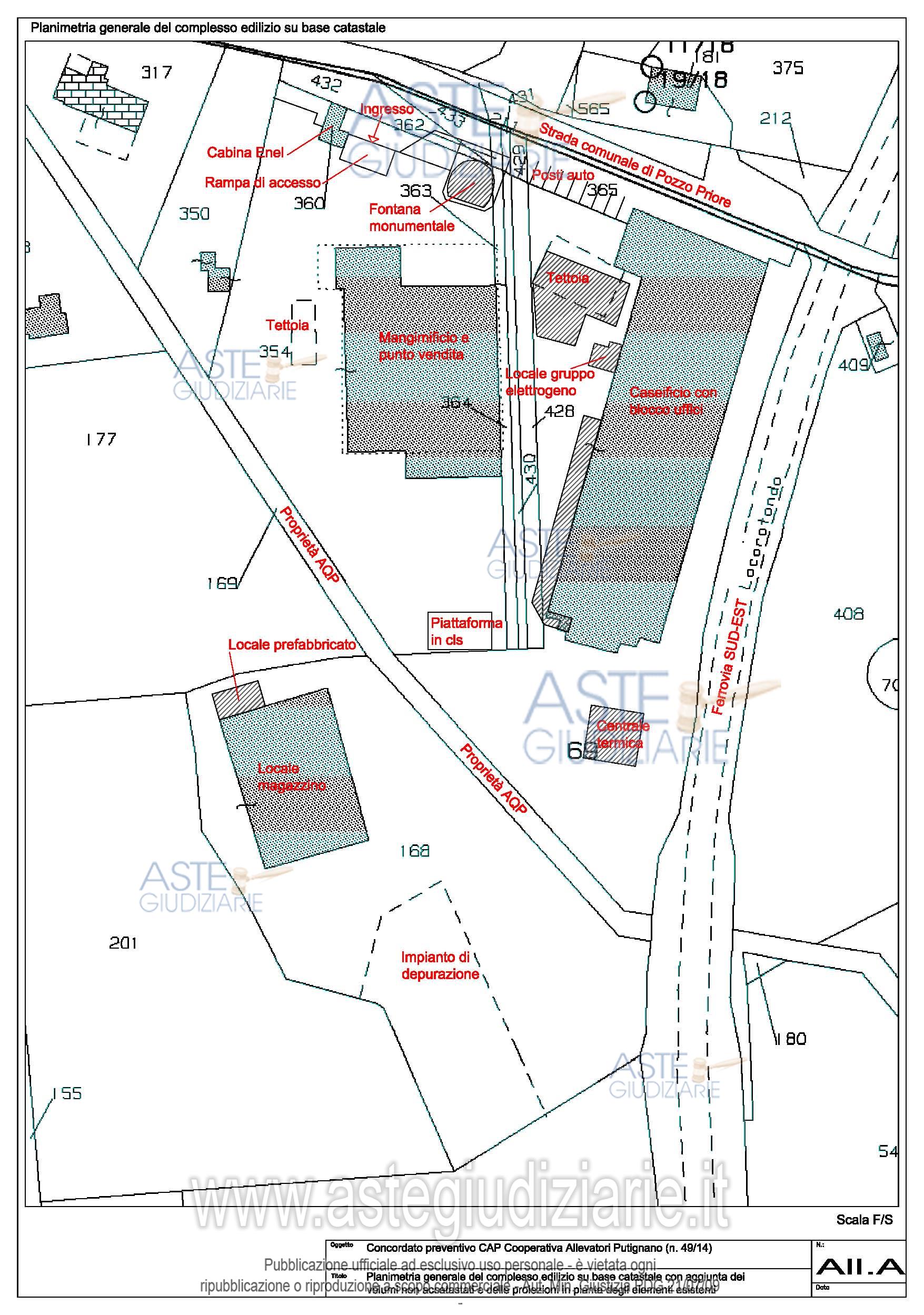
Fabbricato industriale Strada Comunale Pozzo Priore n.13, 70017 Putignano (BA)

3271,21
€ 677.700
Vendita all'asta Senza incanto, con gara telematica asincrona - LOTTO UNICO: Per la piena ed intera proprietà: bene 1) Immobile ad uso caseificio con pertinenti centrale termica, impianto di depurazione e fabbricato separato adibito a ricovero mezzi aziendali; Per 1/2 dell’ intera proprietà : bene 2) Immobile ad uso cabina elettrica ENEL sviluppato su unico livello al piano stradale oltre a piazzale di ingresso. Prezzo base € 677.700,00 (offerta minima € 677.700,00). Data inizio operazioni di vendita: 18/06/2026 ore 11:00. In caso di più offerte valide si procederà a gara che inizierà il 18/06/2026 ore 11:00 e terminerà il 25/06/2026 ore 11:00. Giudice Raffaella Simone. Rif. Tribunale di Bari - Nuovo concordato preventivo n. 49/2014
Vendita all'asta Senza incanto, con gara telematica asincrona - LOTTO UNICO: Für 1/2 des gesamten Eigentums: Gut Nr. 2 Gebäude zur Nutzung als ENEL-Elektrokabine auf einer einzigen Ebene auf Straßenebene entwickelt, städtebaulich für technische Räume bestimmt und katastralisch für spezielle Bedürfnisse eines Industriebetriebs (Katasterkategorie D/7) sowie Einfahrtsvorplatz an der Straßenseite des allgemeinen Zugangs zur Molkerei und einem anderen nicht zum Verkauf stehenden Gut (Mischfutterfabrik), gelegen in Putignano (BA) - Via Comunale Pozzo Priore Nr. 15. Für das volle und ausschließliche Eigentum von Eigentum Nr. 1 - Gebäude für die Nutzung als Käserei, entwickelt auf drei Ebenen mit angrenzenden Räumen, die als Büros genutzt werden, städtebaulich für die Nutzung als Käserei vorgesehen und katasterlich als Betriebshof klassifiziert. Zu ihm gehören und bilden daher einen integralen Bestandteil von Eigentum Nr. 1: - Separates Untergeschossgebäude, das das mit Erdgas betriebene Heizwerk beherbergt; - Anlage zur Aufbereitung der Abwässer des Produktionszyklus; - Separates Gebäude, das als Abstellraum für betriebliche Fahrzeuge städtebaulich als "gebäude für die Unterbringung von betrieblichen Maschinen" und katastrophisch als Betriebshof genutzt wird. . Prezzo base € 677.700,00 (offerta minima € 677.700,00). Data inizio operazioni di vendita: 18/06/2026 ore 11:00. In caso di più offerte valide si procederà a gara che inizierà il 18/06/2026 ore 11:00 e terminerà il 25/06/2026 ore 11:00. Giudice Raffaella Simone. Rif. Tribunale di Bari - Nuovo concordato preventivo n. 49/2014
Vendita all'asta Senza incanto, con gara telematica asincrona - LOTTO UNICO: For 1/2 of the entire property: Property no.2 Building for use as an ENEL power substation developed on a single floor at street level, urbanistically intended for technical use and cadastrally intended for special needs of an industrial activity (cadastral category D/7), in addition to an entrance square located on the street front of common access to the dairy and another property not subject to sale (Feed Mill), located in Putignano (BA) - Communal Street Pozzo Priore no.15. For the full and complete ownership Property no. 1 - Property for use as a dairy farm, developed on three levels with attached premises used as offices, urbanistically intended for a dairy farm and registered as a factory. Also pertaining to it and therefore constituting an integral part of Property no. 1 are: - Separate basement building housing the Central Heating Plant fueled by methane gas; - Plant for purifying effluents from the production cycle; - Separate building used for sheltering company vehicles urbanistically intended as a "shed for housing company machinery" and registered as a factory. . Prezzo base € 677.700,00 (offerta minima € 677.700,00). Data inizio operazioni di vendita: 18/06/2026 ore 11:00. In caso di più offerte valide si procederà a gara che inizierà il 18/06/2026 ore 11:00 e terminerà il 25/06/2026 ore 11:00. Giudice Raffaella Simone. Rif. Tribunale di Bari - Nuovo concordato preventivo n. 49/2014
Vendita all'asta Senza incanto, con gara telematica asincrona - LOTTO UNICO: Pour 1/2 de la totalité de la propriété : Bien n.2 Bâtiment utilisé comme cabine électrique ENEL développé sur un seul niveau au niveau de la rue, destiné urbanistiquement à un local technique et cadastré pour des besoins spéciaux d'une activité industrielle (catégorie cadastrale D/7), ainsi qu'une cour d'entrée située en face de la rue d'accès commun à la laiterie et à un autre bien non objet de vente (usine d'aliments pour animaux), situés à Putignano (BA) - Via Pozzo Priore, 15. Pour la pleine et entière propriété du Bien n°1 - Immeuble utilisé comme fromagerie, développé sur trois niveaux avec des locaux annexes utilisés comme bureaux urbanistiquement destinés à une fromagerie et cadastrés comme usine. En font partie intégrante le Bien n°1 : - un bâtiment séparé en sous-sol accueillant la centrale thermique alimentée au gaz naturel ; - une station d'épuration des effluents du cycle de production ; - un bâtiment séparé utilisé comme abri pour les moyens de l'entreprise urbanistiquement destiné à "hangar pour le stockage des machines de l'entreprise" et cadastré comme usine. . Prezzo base € 677.700,00 (offerta minima € 677.700,00). Data inizio operazioni di vendita: 18/06/2026 ore 11:00. In caso di più offerte valide si procederà a gara che inizierà il 18/06/2026 ore 11:00 e terminerà il 25/06/2026 ore 11:00. Giudice Raffaella Simone. Rif. Tribunale di Bari - Nuovo concordato preventivo n. 49/2014
Vendita all'asta Senza incanto, con gara telematica asincrona - LOTTO UNICO: На 1/2 всей собственности: Объект №2 Недвижимое имущество, используемое в качестве электрической станции ENEL, расположено на единственном уровне на уровне улицы, урбанистически предназначено для технического помещения и катастрально предназначено для особых потребностей промышленной деятельности (категория кадастровой стоимости D/7), наряду с въездной площадкой, расположенной на фасаде улицы общего доступа к молочному производству и другому имуществу, не являющемуся объектом продажи (завод по производству кормов), расположенных в Путиньяно (БА), по адресу: Via Comunale Pozzo Priore, 15. Для полной и непосредственной собственности объекта № 1 - здания для производства молочных продуктов, развитого на трех уровнях со вспомогательными помещениями, используемыми в качестве офисов, урбанистически предназначенного для производства молочных продуктов и катастрацально как производственное здание. К нему относятся и поэтому являются важной частью Объекта № 1: - Отдельное подземное здание, где расположена Термическая станция, работающая на природный газ; - Установка для очистки сточных вод из производственного цикла; - Отдельное здание, предназначенное для хранения служебного транспорта, урбанистически как "склад для хранения служебного транспорта", и катастрациально как производственное здание. . Prezzo base € 677.700,00 (offerta minima € 677.700,00). Data inizio operazioni di vendita: 18/06/2026 ore 11:00. In caso di più offerte valide si procederà a gara che inizierà il 18/06/2026 ore 11:00 e terminerà il 25/06/2026 ore 11:00. Giudice Raffaella Simone. Rif. Tribunale di Bari - Nuovo concordato preventivo n. 49/2014

Superficie 3271,21 mq
Vani
Bagni
Piano

Tipologia di vendita Giudiziaria
Modalità di vendita Asincrona telematica
Termine presentazione offerte 17/06/2026 ore 12:00
Data e ora inizio gara 18/06/2026 ore 11:00
Codice ID astegiudiziarie.it 4210731
3271,21
€ 677.700

Ti interessa questa vendita?

north_east

Clicca qui per essere indirizzato alla scheda sul sito di provenienza

Bene di astegiudiziarie.it