highlight_off
Riferimento annuncio 124050 info

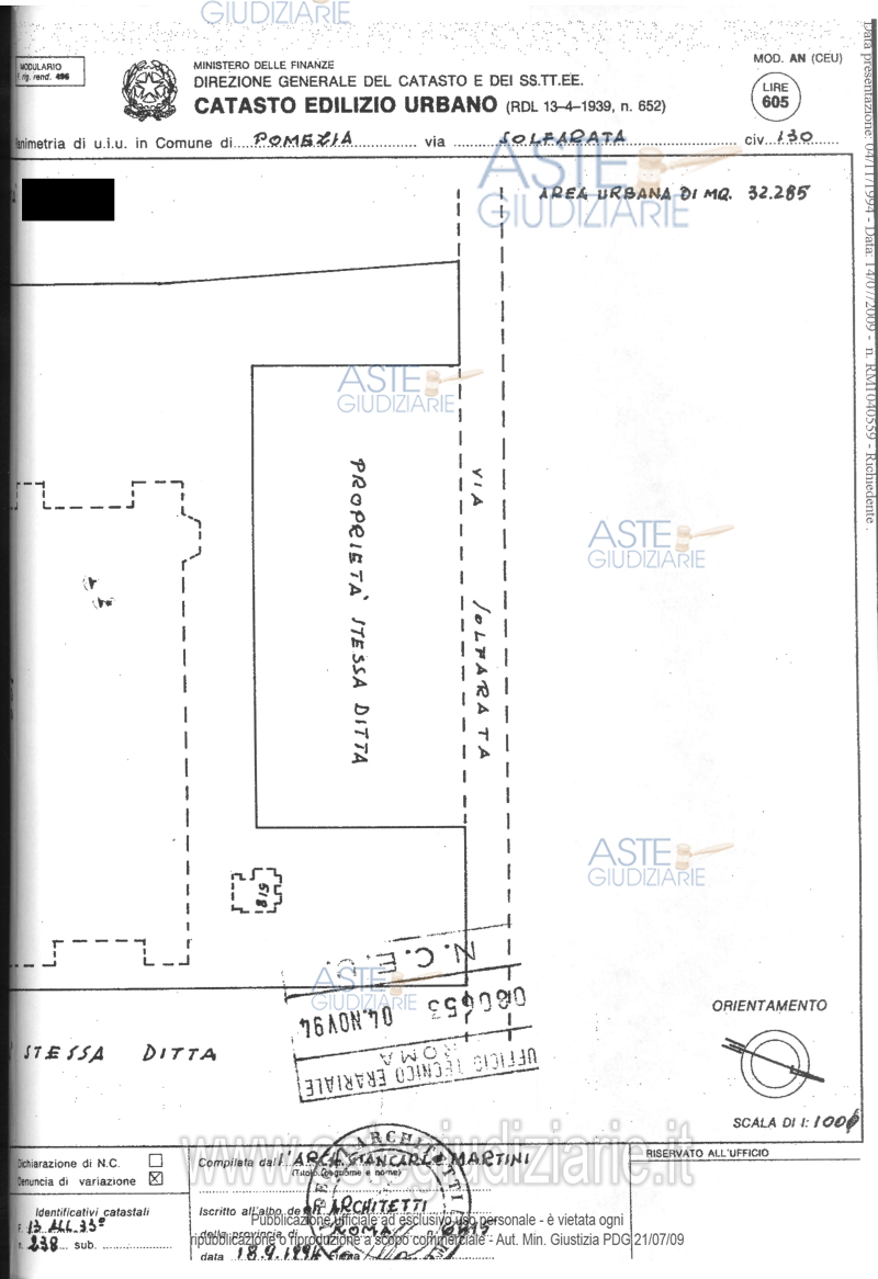
Fabbricato industriale Via della Solfarata, 130, 00071 Pomezia RM, Italia, 00071 Pomezia (RM)

47560,00
€ 2.500.000
Vendita all'asta Senza incanto, con gara telematica asincrona - LOTTO 1: Complesso industriale. Appezzamento di terrenoposto sulla Via Della Solfatara con ingresso al civico 130, della superficie di circa Mq.47.560,00 con sovrastanti manufatti opifici costituiti da: capannone principale-PT, capannone secondario-PT, palazzina “A” di PT–1°-2° e 3°, palazzina “B” di PT- 1°-2° e 3°, manufatti accessori per una superficie convenzionale totale di mq. 47.560,00. Prezzo base € 2.500.000,00 (offerta minima € 1.875.000,00). Data inizio operazioni di vendita: 11/12/2025 ore 10:00. Professionista delegato alla vendita Avv. Michela Del Monaco - Email "avvmicheladelmonaco@gmail.com"; Tel. 0696498956. Custode Giudiziario Ivg Di Roma - Email "pvp@visiteivgroma.it". Rif. Tribunale di Velletri - Esecuzione immobiliare post legge 80 n. 496/2007

Superficie 47560,00 mq
Vani
Bagni
Piano

Tipologia di vendita Giudiziaria
Modalità di vendita Asincrona telematica
Termine presentazione offerte 10/12/2025 ore 23:59
Data e ora inizio gara 11/12/2025 ore 10:00
Codice ID astegiudiziarie.it 366412
47560,00
€ 2.500.000

Ti interessa questa vendita?

north_east

Clicca qui per essere indirizzato alla scheda sul sito di provenienza

Bene di astegiudiziarie.it