highlight_off
Riferimento annuncio 299304 info

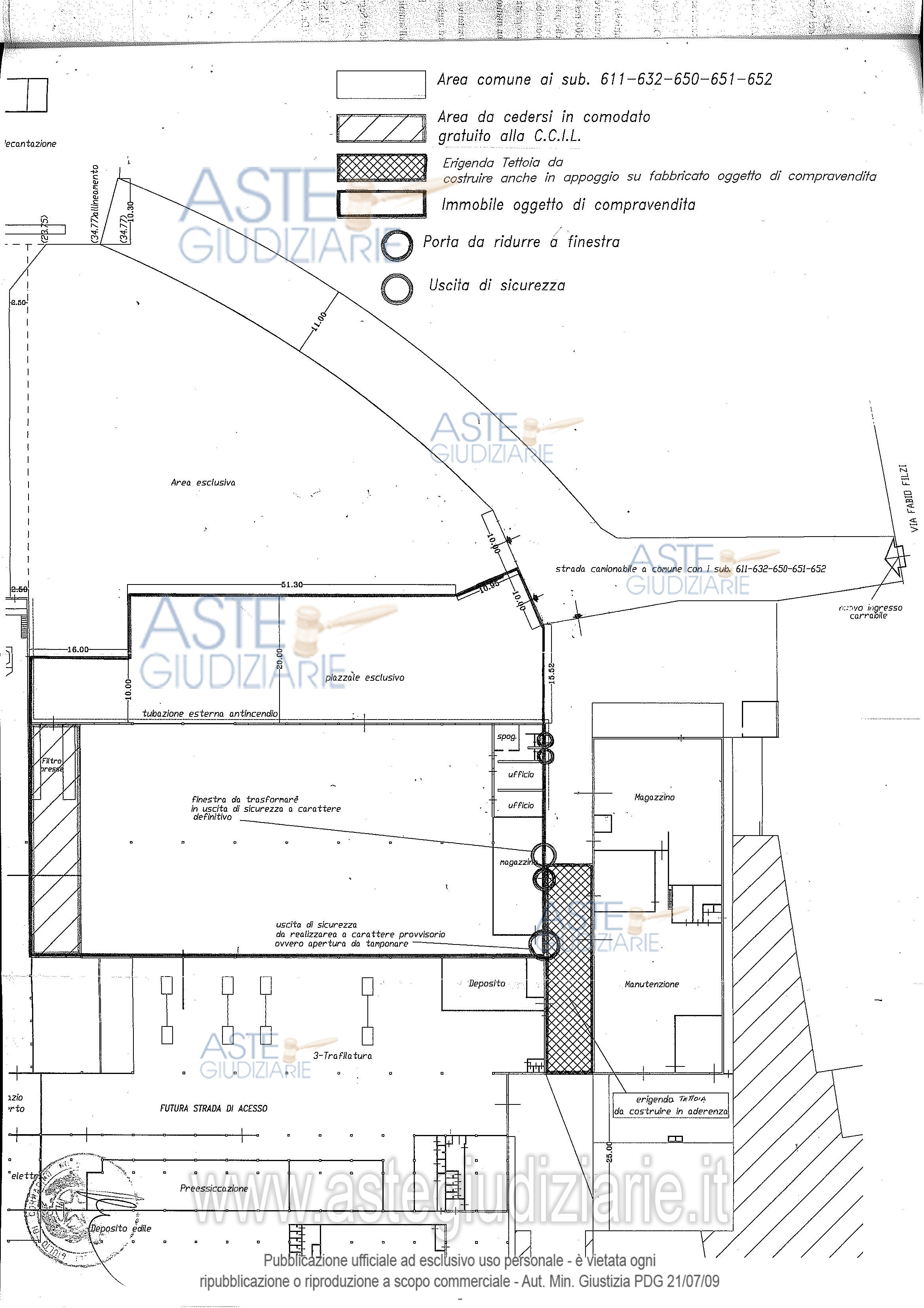
Fabbricato industriale via F. Filzi n.c. 45/b, 57100 Livorno (LI)

3100,00
€ 1.016.930
Vendita all'asta Senza incanto, con gara telematica asincrona - LOTTO UNICO: Diritto di piena proprietà su: porzione di fabbricato uso artigianale-industriale, individuato come Lotto 1 in perizia, di forma rettangolare della superficie esterna lorda di Metri quadri 3.100 circa, piccolo manufatto prefabbricato realizzato in calcestruzzo e suddiviso in tre cabine elettriche, ed impianto fotovoltaico insistente sul fabbricato, il tutto come meglio descritto in avviso. Prezzo base € 1.016.930,00 (offerta minima € 1.016.930,00). Data inizio operazioni di vendita: 11/02/2026 ore 10:30. Giudice Dott. Gianmarco Marinai. Professionista delegato alla vendita Dott. Alessandra Cornelio - Tel. 0586 828965. Rif. Tribunale di Livorno - Nuovo concordato preventivo n. 3/2017
Vendita all'asta Senza incanto, con gara telematica asincrona - LOTTO UNICO: Volles Eigentumsrecht an: Teil eines Gebäudes für gewerblich-industrielle Nutzung im Erdgeschoss, identifiziert als Los 1 im Sachverständigengutachten (altes Ziegelgebäude), rechteckige Form mit einer groben Außenfläche von ca. 3.100 Quadratmetern, kleine vorgefertigte Betonstruktur unterteilt in drei elektrische Kabinen und Photovoltaikanlage auf dem Gebäude. Prezzo base € 1.016.930,00 (offerta minima € 1.016.930,00). Data inizio operazioni di vendita: 11/02/2026 ore 10:30. Giudice Dott. Gianmarco Marinai. Professionista delegato alla vendita Dott. Alessandra Cornelio - Tel. 0586 828965. Rif. Tribunale di Livorno - Nuovo concordato preventivo n. 3/2017
Vendita all'asta Senza incanto, con gara telematica asincrona - LOTTO UNICO: Full ownership rights on: a portion of a ground floor artisanal-industrial building, identified as Lot 1 in the appraisal (an old brick warehouse), rectangular in shape with an external gross surface area of approximately 3,100 square meters, a small prefabricated structure made of concrete divided into three electrical cabins, and a photovoltaic system integrated into the building. Prezzo base € 1.016.930,00 (offerta minima € 1.016.930,00). Data inizio operazioni di vendita: 11/02/2026 ore 10:30. Giudice Dott. Gianmarco Marinai. Professionista delegato alla vendita Dott. Alessandra Cornelio - Tel. 0586 828965. Rif. Tribunale di Livorno - Nuovo concordato preventivo n. 3/2017
Vendita all'asta Senza incanto, con gara telematica asincrona - LOTTO UNICO: Droit de pleine propriété sur : une partie d'un bâtiment à usage artisanal-industriel au rez-de-chaussée, identifiée comme Lot 1 dans l'expertise (ancien hangar en briques), de forme rectangulaire avec une superficie extérieure brute d'environ 3 100 mètres carrés, petite structure préfabriquée en béton divisée en trois cabines électriques, et installation photovoltaïque sur le bâtiment. Prezzo base € 1.016.930,00 (offerta minima € 1.016.930,00). Data inizio operazioni di vendita: 11/02/2026 ore 10:30. Giudice Dott. Gianmarco Marinai. Professionista delegato alla vendita Dott. Alessandra Cornelio - Tel. 0586 828965. Rif. Tribunale di Livorno - Nuovo concordato preventivo n. 3/2017
Vendita all'asta Senza incanto, con gara telematica asincrona - LOTTO UNICO: Право полной собственности на: часть здания с использованием для производства и промышленности на первом этаже, определенную как Лот 1 в оценке (старое здание из кирпичей), прямоугольной формы с внешней общей площадью примерно 3 100 квадратных метров, небольшое сборно-монолитное сооружение из бетона, разделенное на три электрические кабины, и солнечная энергетическая установка, расположенная на здании. Prezzo base € 1.016.930,00 (offerta minima € 1.016.930,00). Data inizio operazioni di vendita: 11/02/2026 ore 10:30. Giudice Dott. Gianmarco Marinai. Professionista delegato alla vendita Dott. Alessandra Cornelio - Tel. 0586 828965. Rif. Tribunale di Livorno - Nuovo concordato preventivo n. 3/2017

Superficie 3100,00 mq
Vani
Bagni
Piano

Tipologia di vendita Giudiziaria
Modalità di vendita Asincrona telematica
Termine presentazione offerte 10/02/2026 ore 12:00
Data e ora inizio gara 11/02/2026 ore 10:30
Codice ID astegiudiziarie.it 4323134
3100,00
€ 1.016.930

Ti interessa questa vendita?

north_east

Clicca qui per essere indirizzato alla scheda sul sito di provenienza

Bene di astegiudiziarie.it