highlight_off
Riferimento annuncio 228650 info

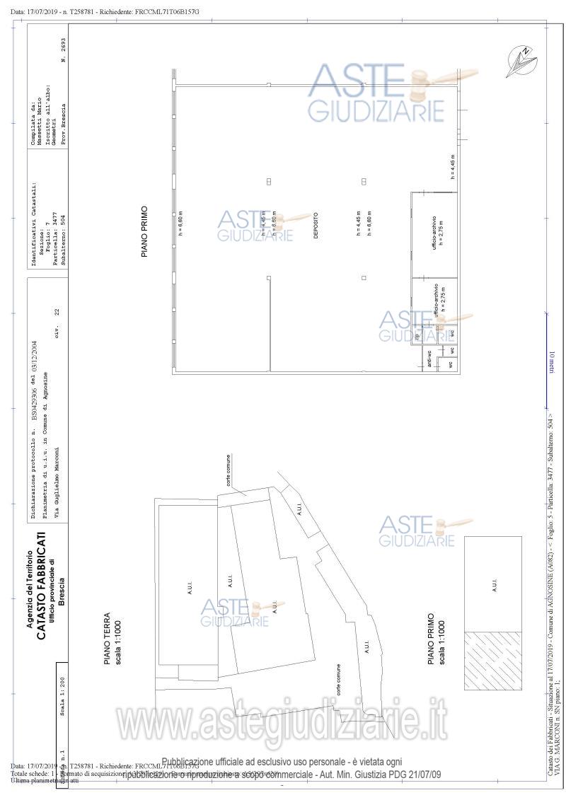
Fabbricato industriale Via G. Marconi, 22, 25071 Agnosine (BS)

€ 151.875
Vendita all'asta Senza incanto, con gara telematica asincrona - LOTTO 1: Piena proprietà di unità immobiliare adibita a deposito al piano primo del complesso di capannoni industriali con accesso da Via Marconi n.22. Prezzo base € 151.875,00 (offerta minima € 113.906,25). Data inizio operazioni di vendita: 07/07/2026 ore 12:00. Professionista delegato alla vendita: Not. Roberto Forino - Email "rforino@notariato.it"; Tel. 030/222849. Custode Giudiziario: Not. Roberto Forino - Email "visiteimmobili@anpebrescia.it". Rif. Tribunale di Brescia - Esecuzione immobiliare post legge 80 n. 76/2019

Tipologia di vendita Giudiziaria
Modalità di vendita Asincrona telematica
Termine presentazione offerte 01/01/1900 ore 00:00
Data e ora inizio gara 07/07/2026 ore 12:00
Codice ID astegiudiziarie.it 4274303
€ 151.875

Ti interessa questa vendita?

north_east

Clicca qui per essere indirizzato alla scheda sul sito di provenienza

Bene di astegiudiziarie.it