highlight_off
Riferimento annuncio 224034 info

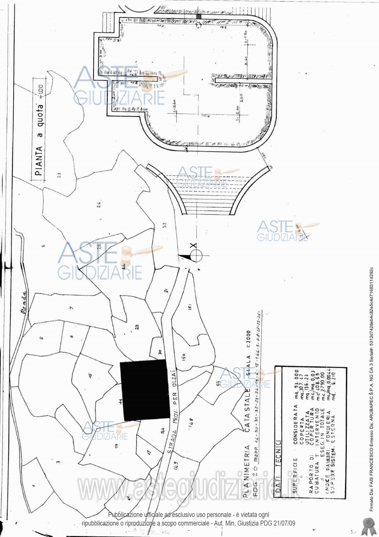
Fabbricato commerciale SP29, 09076 Sedilo OR, Italia Loc Serra Azzargius Badu Accas, 09076 Sedilo (OR)

329,95
€ 22.842
Vendita all'asta Senza incanto, con gara telematica sincrona - LOTTO UNICO: LOTTO UNICO: In Comune di Sedilo, loc. “Serra Azzargius” o “Badu Accas”, struttura destinata a bar ristorante ubicata lungo la SP 29 che dalla SS 131 DCN porta al Comune di Olzai, di mq. distinta al CF al F. 20 part. 191 e 192 cat. D/8, di mq. commerciali 329,95 insistente su un lotto di mq. 2000 c.a. Prezzo base € 22.842,00 (offerta minima € 17.131,50). Data vendita 19/11/2025 ore 10:30. Professionista delegato alla vendita Avv. Renato Pinna Spada - Email "studiopinnaspada@gmail.com"; Tel. 0783775053. Custode Giudiziario Ivg Sardegna - Email "visite.ivgoristano@gmail.com"; Tel. 079630505. Rif. Tribunale di Oristano - Esecuzione immobiliare post legge 80 n. 36/2021

Superficie 329,95 mq
Vani
Bagni
Piano

Tipologia di vendita Giudiziaria
Modalità di vendita Sincrona telematica
Termine presentazione offerte 18/11/2025 ore 13:00
Data e ora inizio gara 19/11/2025 ore 10:30
Codice ID astegiudiziarie.it 4269903
329,95
€ 22.842

Ti interessa questa vendita?

north_east

Clicca qui per essere indirizzato alla scheda sul sito di provenienza

Bene di astegiudiziarie.it