highlight_off
Riferimento annuncio 332639 info

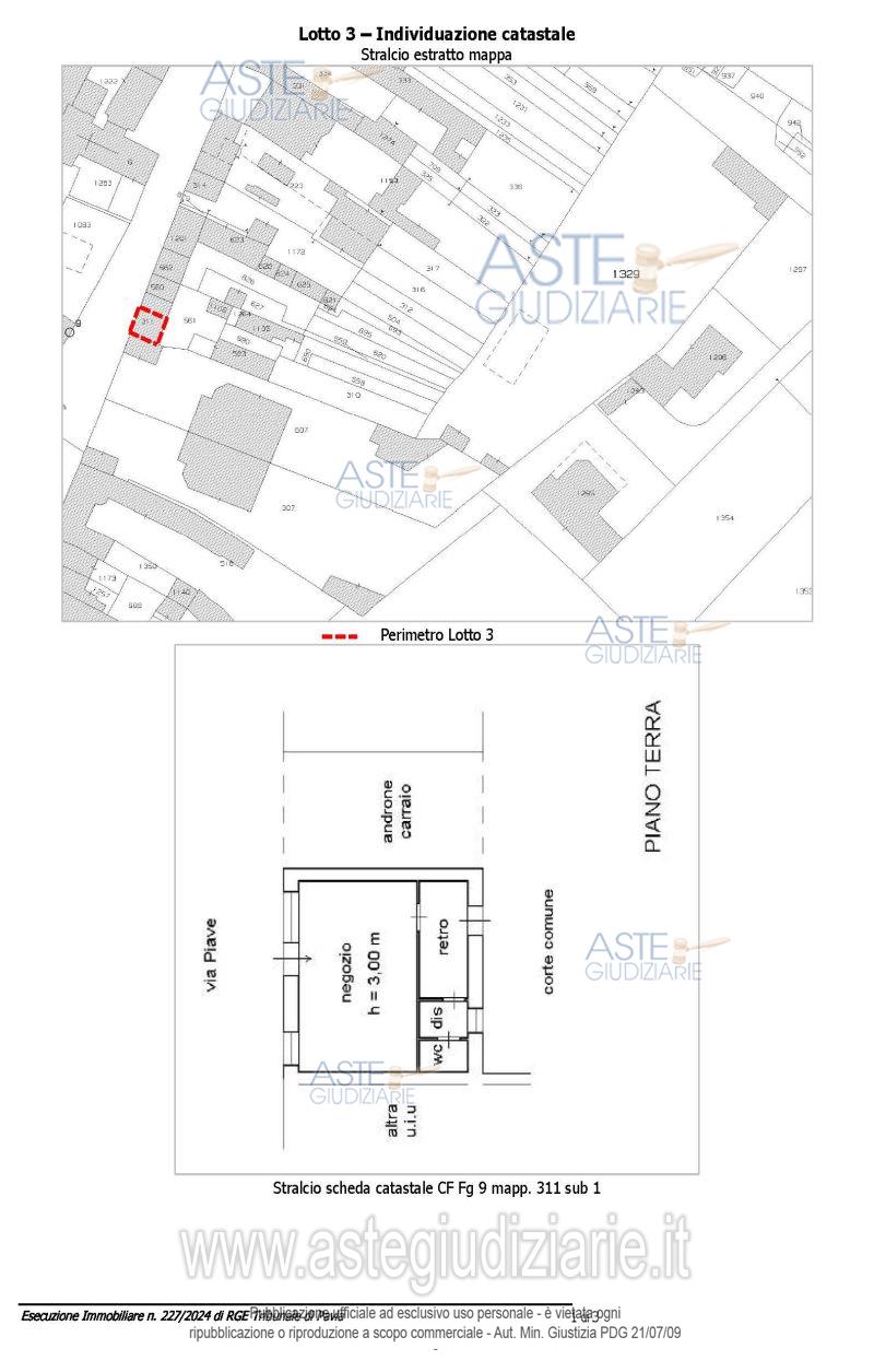
Fabbricato commerciale Via PIAVE 10, 27020 Scaldasole (PV)

36,00
€ 31.300
Vendita all'asta Senza incanto, con gara telematica asincrona - LOTTO 3: Negozio di superficie commerciale 36 mq al piano terra composto da un locale principale con vetrina, altro locale retrostante con accesso dal cortile, bagno con disimpegno. Prezzo base € 31.300,00 (offerta minima € 23.475,00). Data inizio operazioni di vendita: 23/06/2026 ore 15:00. Giudice: Francesca Claris Appiani. Professionista delegato alla vendita: Avv. Gaetano Abela. Custode Giudiziario: Istituto Vendite Giudiziarie Di Vigevano - Email "immobiliarivigevano@ifir.it"; Tel. 0381/691137. Rif. Tribunale di Pavia - Espropriazione immobiliare (cartabia) n. 227/2024

Superficie 36,00 mq
Vani
Bagni
Piano

Tipologia di vendita Giudiziaria
Modalità di vendita Asincrona telematica
Termine presentazione offerte 01/01/1900 ore 00:00
Data e ora inizio gara 23/06/2026 ore 15:00
Codice ID astegiudiziarie.it 4350140
36,00
€ 31.300

Ti interessa questa vendita?

north_east

Clicca qui per essere indirizzato alla scheda sul sito di provenienza

Bene di astegiudiziarie.it