highlight_off
Riferimento annuncio 313790 info

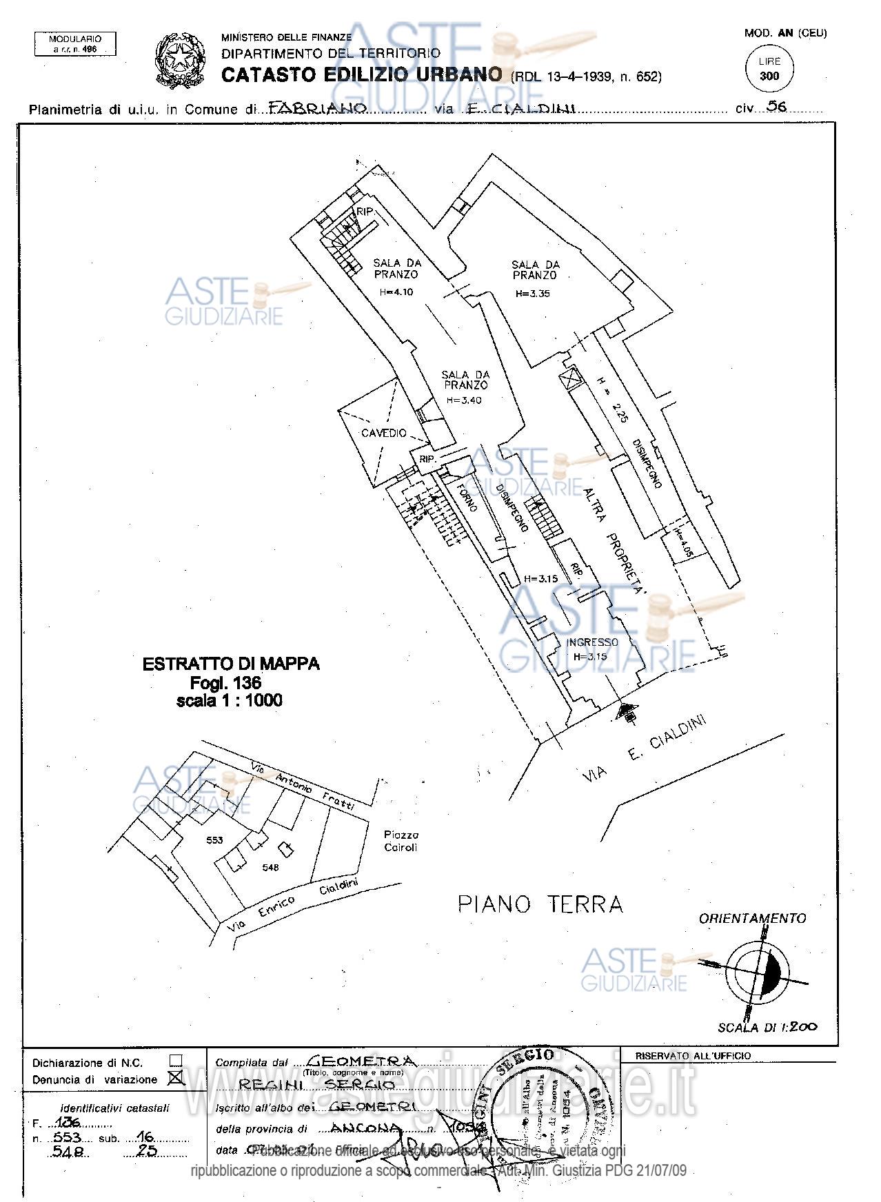
Fabbricato commerciale Piazza Benedetto Cairoli, 60044 Fabriano AN, Italia, 60044 Fabriano (AN)

430,00
€ 384.623
Vendita all'asta Senza incanto, con gara telematica asincrona - LOTTO F: Lotto F. Immobile consistente in un esercizio commerciale di ristorante e pizzeria ubicato nel centro storico, oltre numerosi beni mobili di varia natura, quali attrezzature, macchinari, derrate alimentari, vini , arredamenti, attrezzature elettroniche etc. , così come meglio descritti nella perizia di stima dell’Ing. Cristian Bendelari dal n. 1 al n. 221. Prezzo base € 384.622,50 (offerta minima € 288.466,88). Data inizio operazioni di vendita: 11/06/2026 ore 11:00. In caso di più offerte valide si procederà a gara che inizierà il 11/06/2026 ore 11:00 e terminerà il 18/06/2026 ore 11:00. Giudice: Dott. Giuliana Filippello. Professionista delegato alla vendita: Avv. Gabriele Sartini - Cell. 333/7222327. Curatore: Avv. Gabriele Sartini. Soggetto specializzato alla vendita: Aste Giudiziarie Inlinea S.P.A. - Email "vendite@astegiudiziarie.it". Rif. Tribunale di Ancona - Liquidazione giudiziale(cci) n. 36/2024

Superficie 430,00 mq
Vani
Bagni
Piano

Tipologia di vendita Giudiziaria
Modalità di vendita Asincrona telematica
Termine presentazione offerte 10/06/2026 ore 12:00
Data e ora inizio gara 11/06/2026 ore 11:00
Codice ID astegiudiziarie.it 4334911
430,00
€ 384.623

Ti interessa questa vendita?

north_east

Clicca qui per essere indirizzato alla scheda sul sito di provenienza

Bene di astegiudiziarie.it