highlight_off
Riferimento annuncio 332857 info

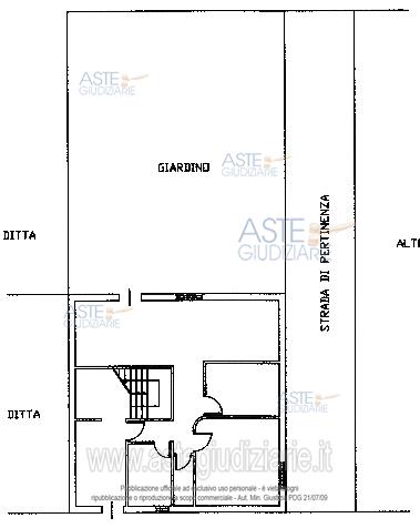
Fabbricato commerciale Contrada Zotta Papera o Raisa, 94010 Catenanuova (EN)

36,00
€ 8.889
Vendita all'asta Senza incanto, con gara telematica sincrona mista - LOTTO 1: 4/6 proprietà di terreno seminativo Ha 0.0.39; 4/6 proprietà di fabbricato di circa 36,00 mq, piano terra. Prezzo base € 8.888,96 (offerta minima € 6.666,72). Data vendita 03/09/2026 ore 10:00. Giudice: Evelia Tricani. Professionista delegato alla vendita: Avv. Giovanni Cannata - Email "giovanni.cannata@avvnicosia.legalmail.it". Custode Giudiziario: Avv. Giovanni Cannata - Email "giovanni.cannata@avvnicosia.legalmail.it"; Tel. 0935/633083. Rif. Tribunale di Enna - Esecuzione immobiliare post legge 80 n. 66/1997

Superficie 36,00 mq
Vani
Bagni
Piano

Tipologia di vendita Giudiziaria
Modalità di vendita Sincrona mista
Termine presentazione offerte 01/01/1900 ore 00:00
Data e ora inizio gara 03/09/2026 ore 10:00
Codice ID astegiudiziarie.it 299170
36,00
€ 8.889

Ti interessa questa vendita?

north_east

Clicca qui per essere indirizzato alla scheda sul sito di provenienza

Bene di astegiudiziarie.it