highlight_off
Riferimento annuncio 308793 info

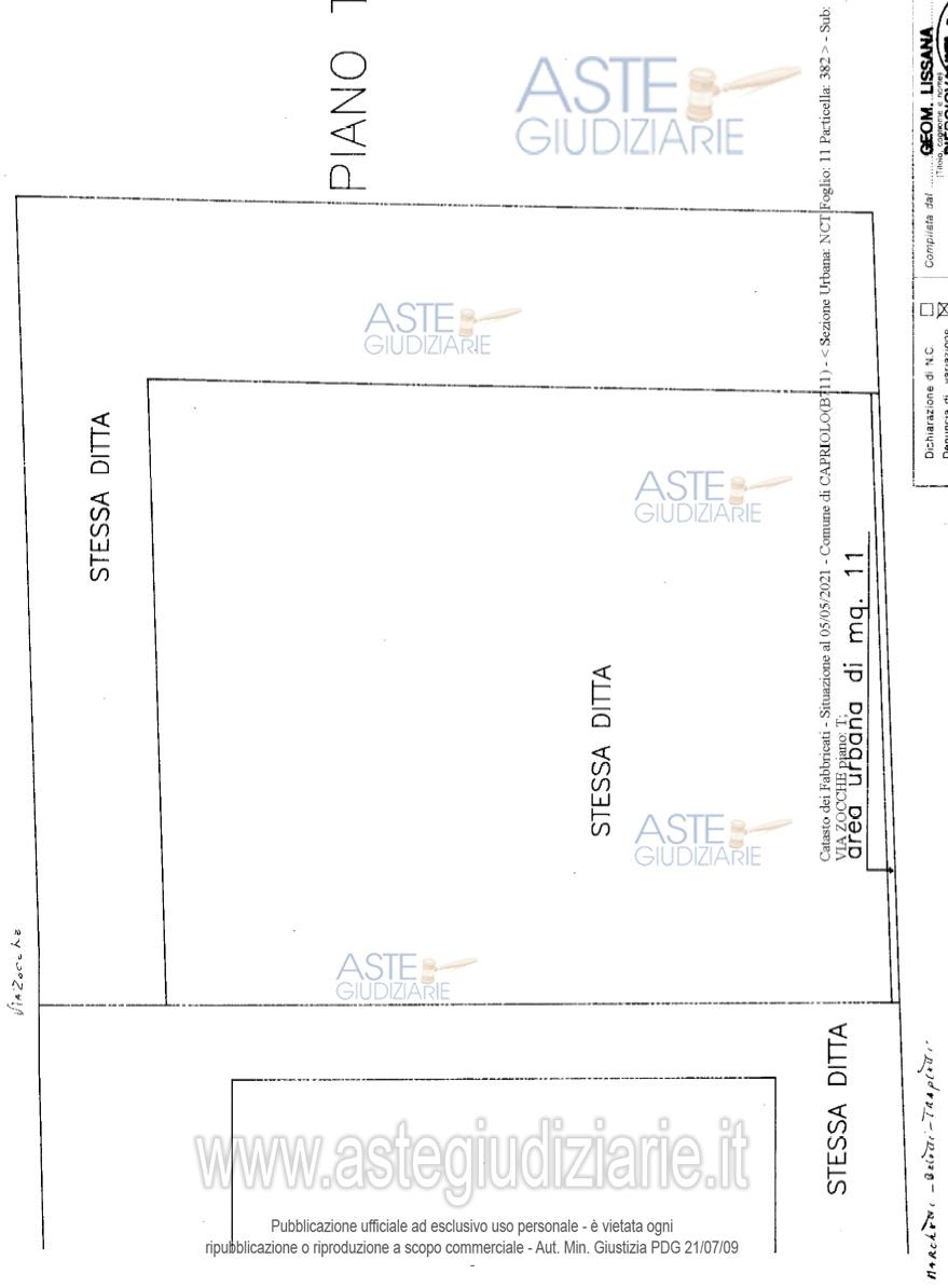
Fabbricato commerciale Via Zocche, 25031 Capriolo (BS)

€ 416.745
Vendita all'asta Competitiva, con gara telematica asincrona - LOTTO 5: LOTTO 5 Piena proprietà.In Comune di CAPRIOLO (BS) – Via Zocche Trattasi di supermercato. Prezzo base € 416.745,00. Data inizio operazioni di vendita: 04/11/2025 ore 12:30. Professionista delegato alla vendita Not. Francesco Ambrosini - Email "credenzialiaste@gmail.com". Curatore Dott. Stefano Lancelotti - Email "stefanolancelotti@libero.it". Rif. Tribunale di Brescia - Fallimentare (nuovo rito) n. 5/2023

Tipologia di vendita Giudiziaria
Modalità di vendita Asincrona telematica
Termine presentazione domande 01/01/1900 ore 00:00
Data e ora inizio gara 04/11/2025 ore 12:30
Codice ID astegiudiziarie.it 4330653
€ 416.745

Ti interessa questa vendita?

north_east

Clicca qui per essere indirizzato alla scheda sul sito di provenienza

Bene di astegiudiziarie.it