highlight_off
Riferimento annuncio 289462 info

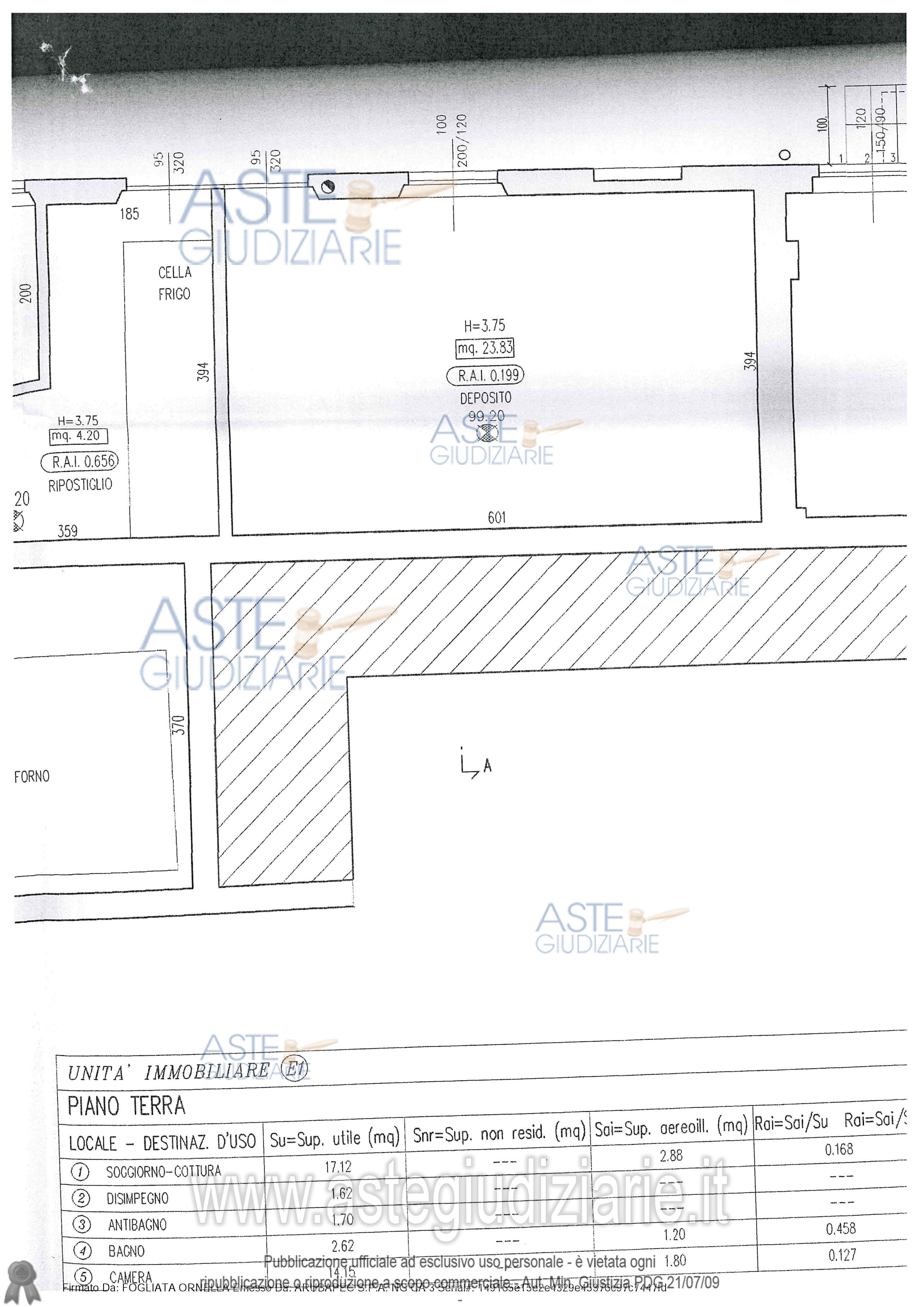
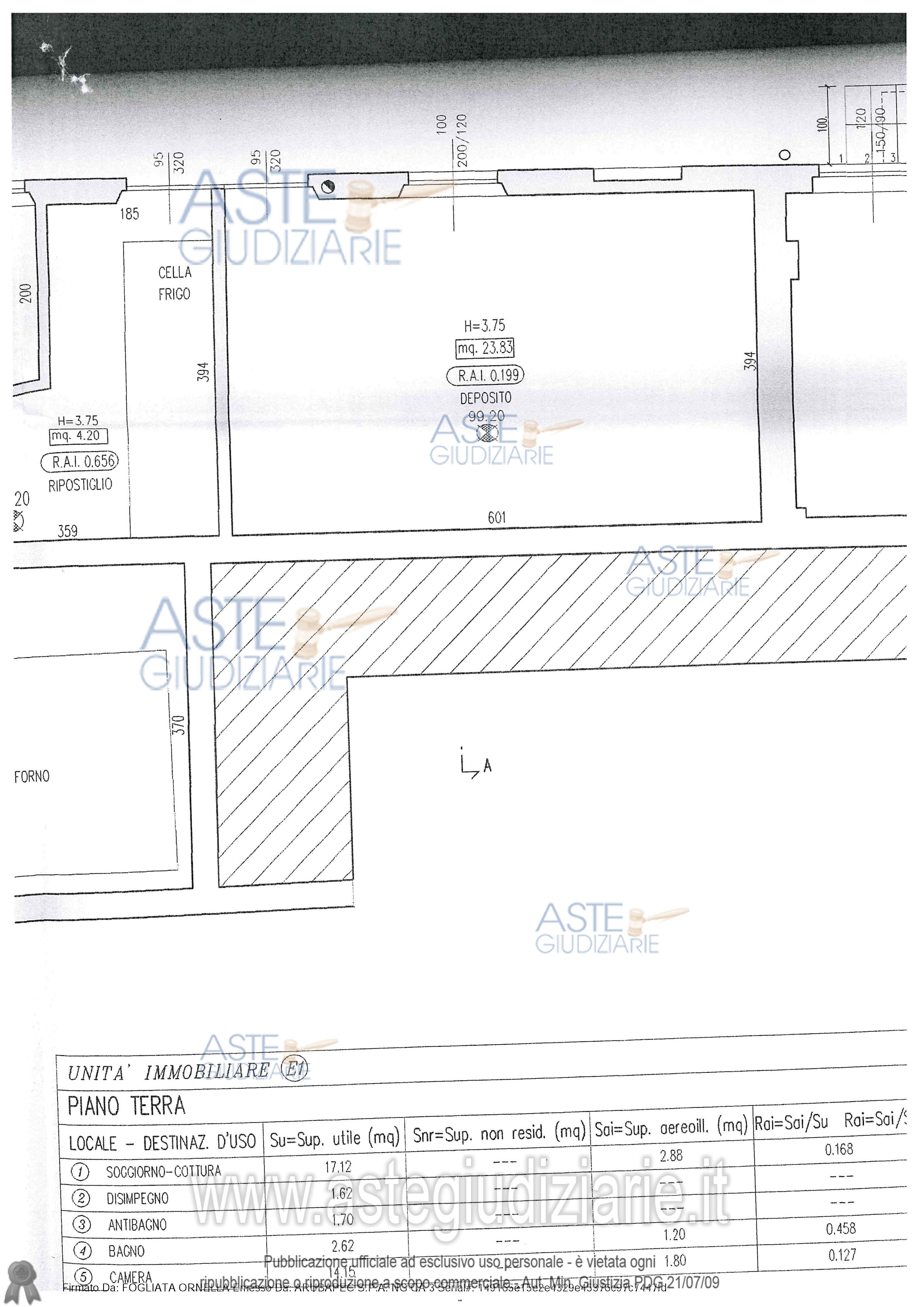
Fabbricato commerciale Via Zara 83/85/87, 25100 Brescia (BS)

84,00
€ 78.375
Vendita all'asta Senza incanto, con gara telematica asincrona - LOTTO UNICO: piena proprietàComune di Brescia (BS), Via Zara n. 83/85/87Negozio al piano terra con servizi, retro, laboratorio e due ripostigliil tutto censito al Catasto Fabbricati di detto Comune, Sez. NCT Fg. 145mapp. 142 sub 28 – Z.C. 2 - P. T - cat. C/1 - cl. 10 – 84 mq - R.C. Euro 3.032,43Oltre alle proporzionali quote sulle parti comuni dell’edificio. Prezzo base € 78.375,00 (offerta minima € 58.781,25). Data inizio operazioni di vendita: 23/01/2026 ore 10:30. Giudice Dellesecuzione Giudice. Professionista delegato alla vendita Avv. Massimo Zanardini - Email "avv.zanardini@libero.it". Custode Giudiziario Avv. Massimo Zanardini - Email "avv.zanardini@libero.it"; Tel. 0303757763. Rif. Tribunale di Brescia - Espropriazione immobiliare (cartabia) n. 165/2023

Superficie 84,00 mq
Vani
Bagni
Piano

Tipologia di vendita Giudiziaria
Modalità di vendita Asincrona telematica
Termine presentazione offerte 01/01/1900 ore 00:00
Data e ora inizio gara 23/01/2026 ore 10:30
Codice ID astegiudiziarie.it 4315786
84,00
€ 78.375

Ti interessa questa vendita?

north_east

Clicca qui per essere indirizzato alla scheda sul sito di provenienza

Bene di astegiudiziarie.it