Riferimento annuncio 296268
        
    
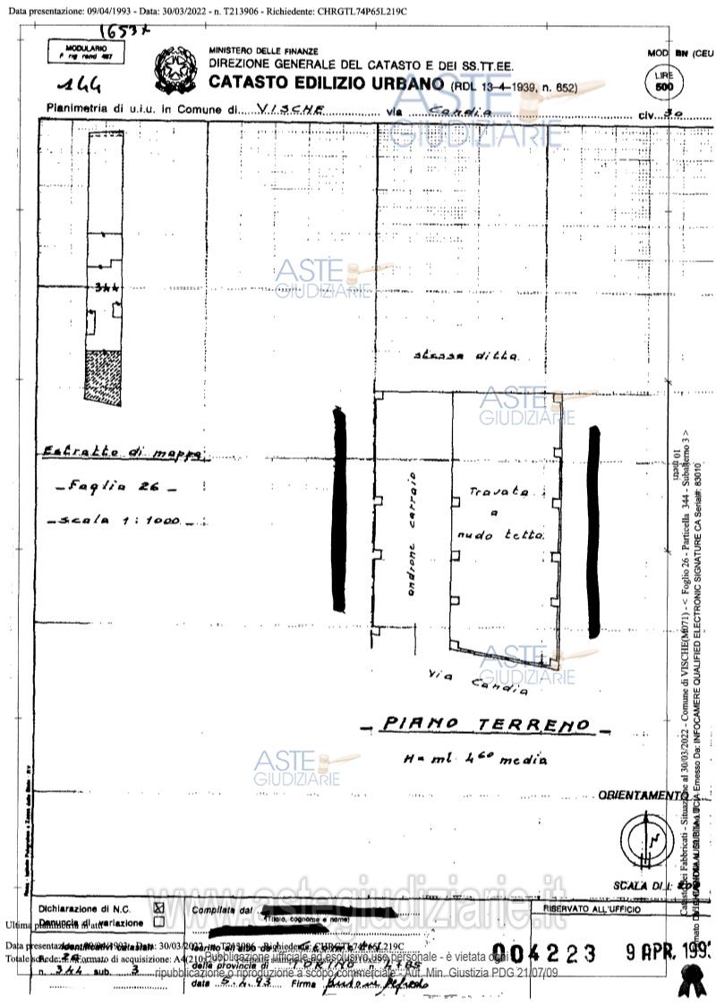
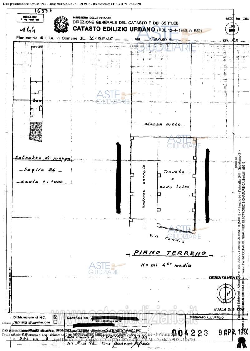
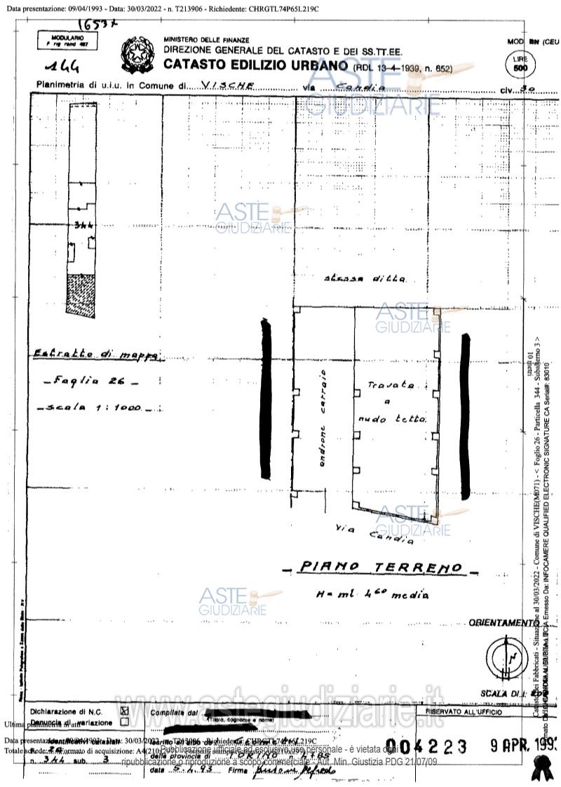
    Fabbricato civile Via Candia, 30, 10030 Vische TO, Italia, 10030 Vische (TO)
                
                2,00
            
            
                
                1223,00
            
            
                
                0
            
        
€ 39.940    
                Vendita all'asta Senza incanto, con gara telematica asincrona - LOTTO UNICO:  Piena proprietà di porzione di fabbricato, elevato a due piani fuori terra, di tipica cascina delcanavese a corte chiusa, comprensivo di giardino sul retro, pertinenze e tettoie ed appezzamento di terreno ubicato a Vische (TO), Lungo via Cascine Pratoferro. Prezzo base € 39.940,00 (offerta minima € 29.955,00). Data inizio operazioni di vendita: 18/11/2025 ore 11:30. Professionista delegato alla vendita Avv. Monica Defilippi. Custode Giudiziario Avv. Monica Defilippi - Email "avvmonicadefilippi@gmail.com"; Cell. 3388947609.  Rif. Tribunale di Ivrea - Contenzioso civile n. 2487/2023
            
   
| Superficie | 1223,00 mq | 
|---|---|
| Vani | 2,00 | 
| Bagni | |
| Piano | 0 | 
| Tipologia di vendita | Giudiziaria | 
|---|---|
| Modalità di vendita | Asincrona telematica | 
| Termine presentazione offerte | 17/11/2025 ore 12:00 | 
| Data e ora inizio gara | 18/11/2025 ore 11:30 | 
 
                         
                         
                         
                         
                         
                         
                         
                         
                         
                         
                         
                         
                         
                         
                         
                         
                         
                         
                         
                         
                         
                         
                         
                         
                         
                         
                        