Riferimento annuncio 307352
        
    
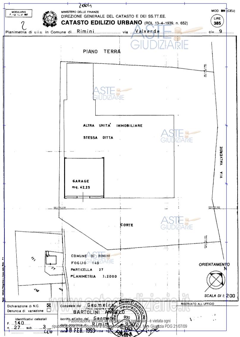
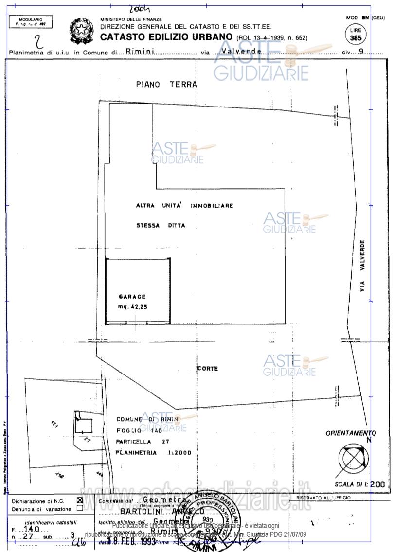
    Fabbricato civile Via Valverde n. 9, 47900 Rimini (RN)
                
                0
            
        
€ 252.000    
                Vendita all'asta Senza incanto, con gara telematica sincrona mista - LOTTO UNICO:  fabbricato urbano costituito da due unità abitative, al piano terra e al piano primo, oltre ad un'autorimessa al piano terra con adiacente terreno agricolo di catastali mq. 6105. Prezzo base € 252.000,00 (offerta minima € 189.000,00). Data vendita 18/11/2025 ore 10:00. Professionista delegato alla vendita Not. Luigi Ortolani - Email "esecuzioni.immobiliari@notaioortolani.it"; Tel. 0541606303.  Rif. Tribunale di Rimini - Contenzioso civile n. 3065/2021
            
   
| Superficie | mq | 
|---|---|
| Vani | |
| Bagni | |
| Piano | 0 | 
| Tipologia di vendita | Giudiziaria | 
|---|---|
| Modalità di vendita | Sincrona mista | 
| Termine presentazione offerte | 17/11/2025 ore 13:00 | 
| Data e ora inizio gara | 18/11/2025 ore 10:00 | 
 
                         
                         
                         
                         
                         
                         
                         
                         
                         
                         
                         
                         
                         
                         
                         
                         
                         
                         
                         
                         
                         
                         
                         
                         
                         
                         
                        