highlight_off
Riferimento annuncio 327625 info

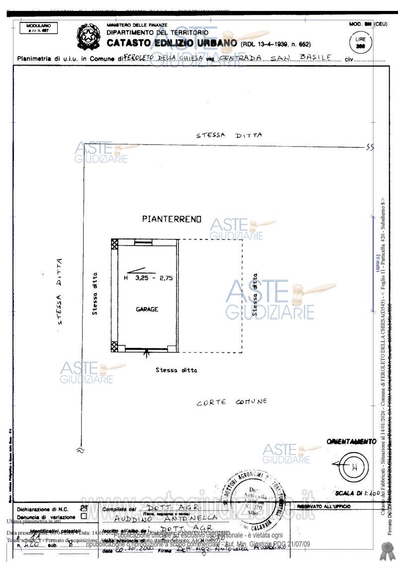
Fabbricato civile -, 89050 Feroleto della Chiesa (RC)

0
€ 35.640
Vendita all'asta Senza incanto, con gara telematica asincrona - LOTTO 2: Insieme edilizio identificato con i subalterni 3, 7 e 8 della particella 420 del foglio 11. I beni, ubicati a circa 2,00 chilometri di distanza dal centro abitato di Feroleto della Chiesa, sono distribuiti in due distinti corpi di fabbrica realizzati su un’area di circa 420,00 mq, raggiungibile dalla provinciale n. 4 percorrendo una strada di accesso identificata con il sub 12 della particella 420, bene comune non censibile oltre che ai subalterni 3, 7 e 8 anche ai subalterni 2, 4, 5 e 6 esclusi dal presente lotto. L’accesso dalla strada provinciale al subalterno 12 della particella 420 è protetto da un cancello pedonale e da un cancello carrabile. . Prezzo base € 35.640,00 (offerta minima € 26.730,00). Data inizio operazioni di vendita: 23/04/2026 ore 16:30. Giudice Dott. Marta Caineri. Professionista delegato alla vendita Avv. Maria Vittoria Callè - Tel. 3456158029. Custode Giudiziario Avv. Maria Vittoria Callè - Tel. 3456158029. Rif. Tribunale di Palmi - Esecuzione immobiliare n. 16/2025

Superficie mq
Vani
Bagni
Piano 0

Tipologia di vendita Giudiziaria
Modalità di vendita Asincrona telematica
Termine presentazione offerte 01/01/1900 ore 00:00
Data e ora inizio gara 23/04/2026 ore 16:30
Codice ID astegiudiziarie.it 4345998
0
€ 35.640

Ti interessa questa vendita?

north_east

Clicca qui per essere indirizzato alla scheda sul sito di provenienza

Bene di astegiudiziarie.it