highlight_off
Riferimento annuncio 307821 info

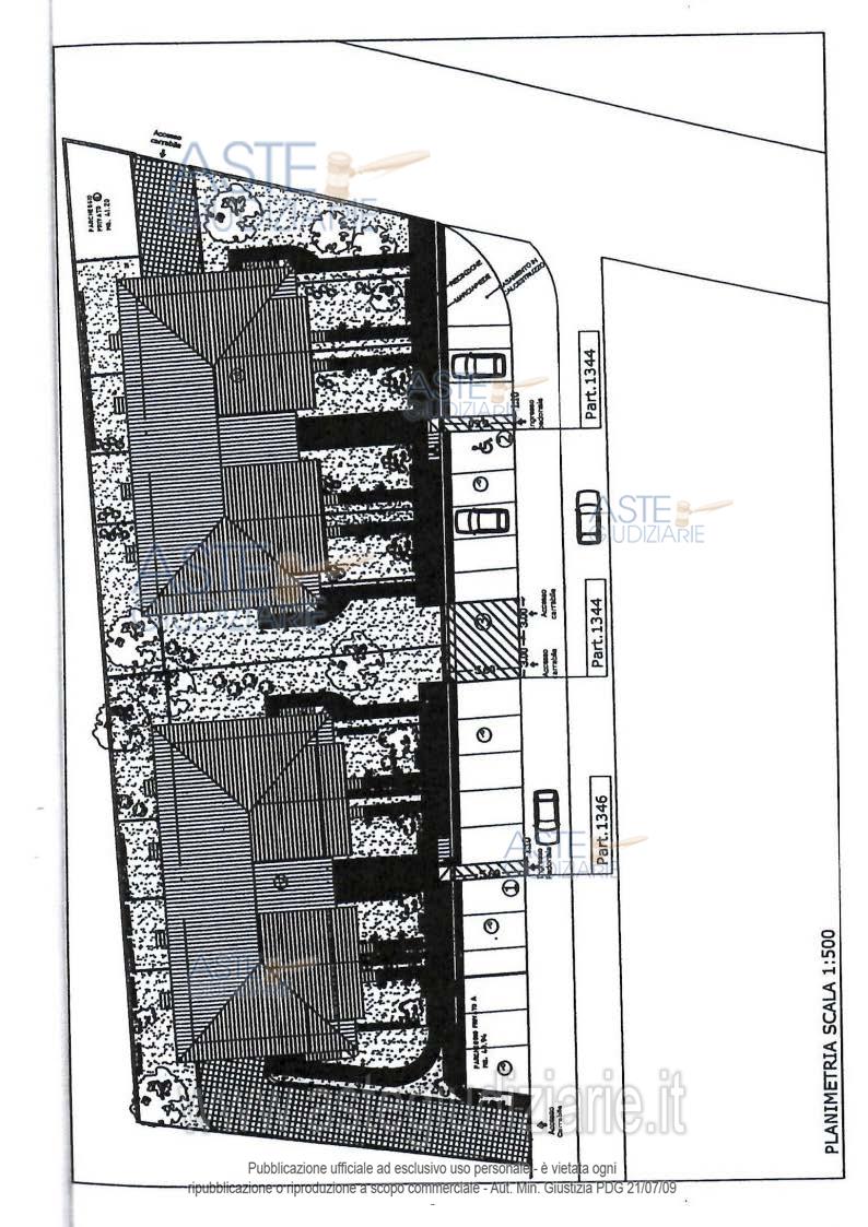
Fabbricato civile Via Massimiliano Perfetti, 65012 Cepagatti (PE)

100,00
1791,60
24
0
€ 354.737
Vendita all'asta Senza incanto, con gara telematica asincrona - LOTTO UNICO: Complesso immobiliare composto da n.2 fabbricati per civile abitazione allo stato grezzo ed in corso dicostruzione denominati Fabbricato “A” e Fabbricato “B” composti ciascuno di n.6 garage, corsia di manovra,locale tecnico al piano seminterrato (S1), n.4 appartamenti con annesso giardino privato al piano terra rialzato en.4 appartamenti al piano 1° e 2° sottotetto. Le destinazioni dei piani 2° sottotetto sono a locali di sgombero(non residenziale). Prezzo base € 354.736,80 (offerta minima € 266.052,60). Data inizio operazioni di vendita: 10/12/2025 ore 10:00. Professionista delegato alla vendita Dott. Paola De Carolis. Custode Giudiziario Dott. Paola De Carolis - Email "paoladecarolis@gmail.com"; Cell. 3293171832. Rif. Tribunale di Pescara - Espropriazione immobiliare (cartabia) n. 225/2023

Superficie 1791,60 mq
Vani 100,00
Bagni 24
Piano 0

Tipologia di vendita Giudiziaria
Modalità di vendita Asincrona telematica
Termine presentazione offerte 09/12/2025 ore 12:00
Data e ora inizio gara 10/12/2025 ore 10:00
Codice ID astegiudiziarie.it 4329877
100,00
1791,60
24
0
€ 354.737

Ti interessa questa vendita?

north_east

Clicca qui per essere indirizzato alla scheda sul sito di provenienza

Bene di astegiudiziarie.it