highlight_off
Riferimento annuncio 302881 info

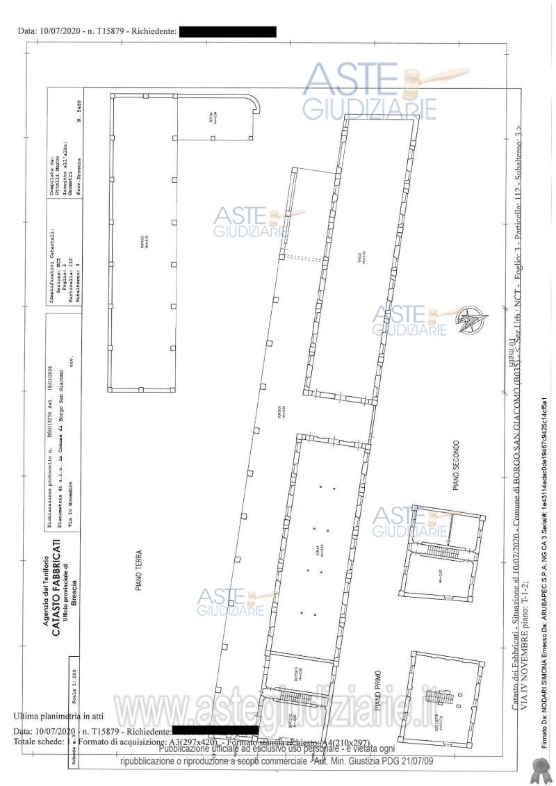
Fabbricato civile Via IV Novembre, 25022 Borgo San Giacomo (BS)

0
€ 806.250
Vendita all'asta Senza incanto, con gara telematica asincrona - LOTTO 4: Due edifici ad uso residenziale che si sviluppa su due piani fuori terra e solaio e suddiviso in due unità immobiliari autonome, un edificio ad uso commerciale, un edificio ad uso agricolo (stalla e deposito) ed edificio agricolo formato da un corpo principale, costituito da ampia tettoia, ed un corpo minore usato come stalla. Competono le proporzionali quote delle parti comuni. Prezzo base € 806.250,00 (offerta minima € 604.687,50). Data inizio operazioni di vendita: 21/10/2025 ore 10:30. Professionista delegato alla vendita Dott. Giovanna Mina. Custode Giudiziario Dott. Giovanna Mina - Email "visiteimmobili@anpebrescia.it". Rif. Tribunale di Brescia - Esecuzione immobiliare post legge 80 n. 80/2020

Superficie mq
Vani
Bagni
Piano 0

Tipologia di vendita Giudiziaria
Modalità di vendita Asincrona telematica
Termine presentazione offerte 20/10/2025 ore 12:00
Data e ora inizio gara 21/10/2025 ore 10:30
Codice ID astegiudiziarie.it 4262642
0
€ 806.250

Ti interessa questa vendita?

north_east

Clicca qui per essere indirizzato alla scheda sul sito di provenienza

Bene di astegiudiziarie.it