highlight_off
Riferimento annuncio 320058 info

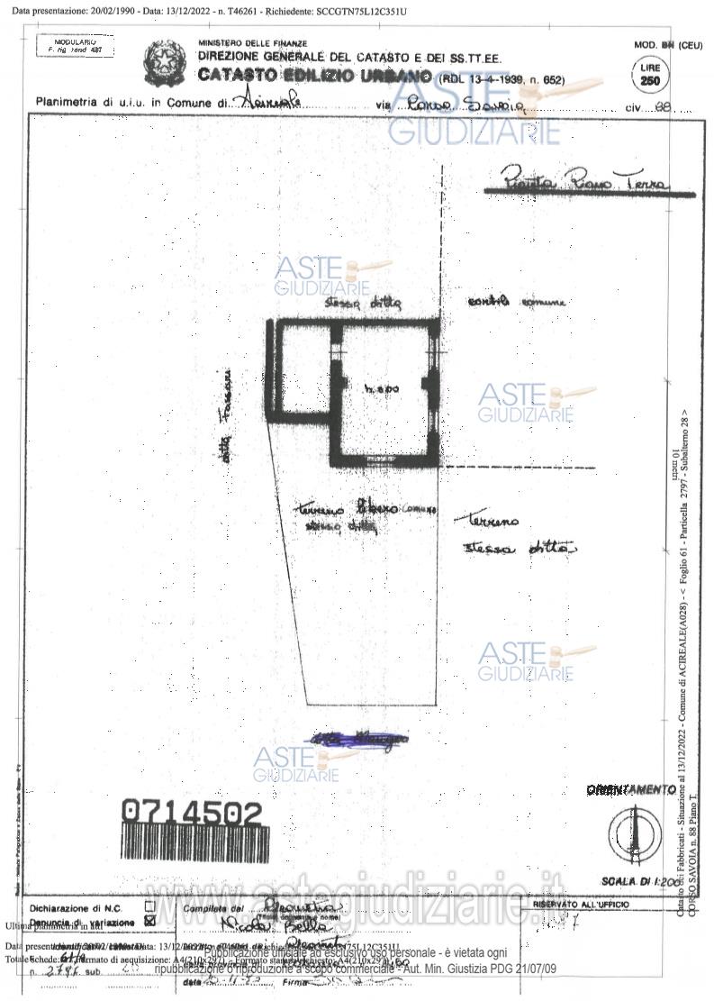
Capannone Corso Savoia n. 84, 95024 Acireale (CT)

54,00
0
€ 24.000
Vendita all'asta Senza incanto, con gara telematica sincrona - LOTTO 4: Magazzino-locale deposito sito in Acireale Corso Savoia n. 84. Prezzo base € 24.000,00 (offerta minima € 18.000,00). Data vendita 30/01/2026 ore 17:00. Giudice Nelly Gaia Mangiameli. Professionista delegato alla vendita Avv. Dario Sanfilippo - Email "avvocatosanfilippo@gmail.com"; Tel. 095531780. Custode Giudiziario Avv. Dario Sanfilippo - Email "avvocatosanfilippo@gmail.com"; Tel. 095531780. Rif. Tribunale di Catania - Esecuzione immobiliare post legge 80 n. 17/2020

Superficie 54,00 mq
Vani
Bagni
Piano 0

Tipologia di vendita Giudiziaria
Modalità di vendita Sincrona telematica
Termine presentazione offerte 29/01/2026 ore 13:00
Data e ora inizio gara 30/01/2026 ore 17:00
Codice ID astegiudiziarie.it 4339704
54,00
0
€ 24.000

Ti interessa questa vendita?

north_east

Clicca qui per essere indirizzato alla scheda sul sito di provenienza

Bene di astegiudiziarie.it