highlight_off
Riferimento annuncio 326074 info

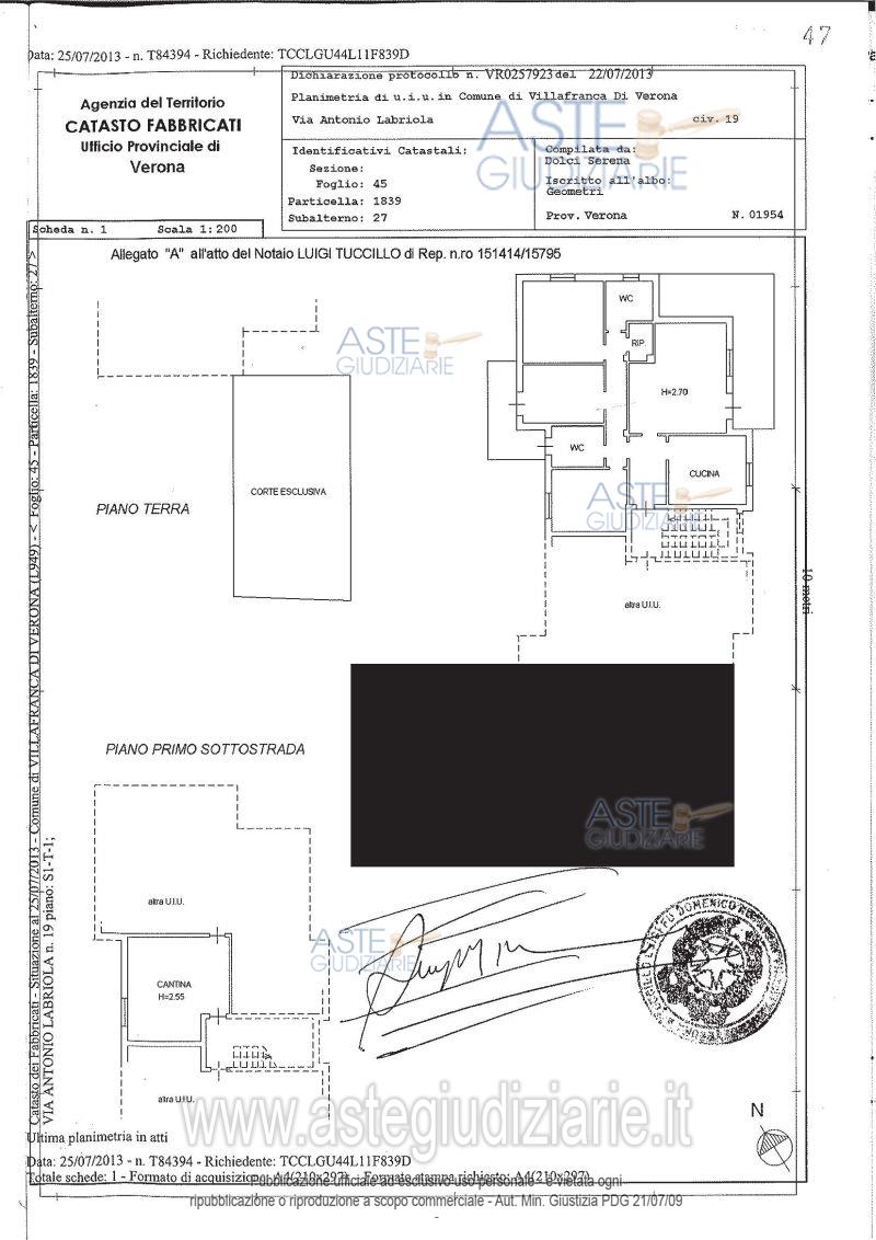
Appartamento Via Antonio Labriola 19, 37069 Villafranca di Verona (VR)

0
€ 300.000
Vendita all'asta Senza incanto, con gara telematica sincrona mista - LOTTO UNICO: LOTTO UNICO - In Comune di Villafranca di Verona (VR), Via Antonio Labriola 19, piena proprietà di abitazione al piano primo di un edificio quadrifamiliare con corte esclusiva e autorimessa e cantina pertinenziali al piano seminterrato. Sono compresi nella vendita i proporzionali diritti di comproprietà su enti comuni e spazi di uso comune ai sensi dell’art. 1117 c.c., ivi compresa l’area di sedime e pertinenza del fabbricato, ed in particolare sul m.n. 1839 sub 16 - BCNC ai sub 2,3,4,6,7,8,9,26,30,31. Prezzo base € 300.000,00 (offerta minima € 225.000,00). Data vendita 28/05/2026 ore 15:00. Giudice: Dott. Francesco Fontana. Professionista delegato alla vendita: Dott. Luca Paolucci - Email "notes@notariato.it"; Tel. 045/8006661. Custode Giudiziario: Dott. Francesca Ferretto - Email "f.ferretto@libero.it"; Tel. 045/8347388. Rif. Tribunale di Verona - Espropriazione immobiliare (cartabia) n. 162/2025

Superficie mq
Vani
Bagni
Piano 0

Tipologia di vendita Giudiziaria
Modalità di vendita Sincrona mista
Termine presentazione offerte 01/01/1900 ore 00:00
Data e ora inizio gara 28/05/2026 ore 15:00
Codice ID astegiudiziarie.it 4344918
0
€ 300.000

Ti interessa questa vendita?

north_east

Clicca qui per essere indirizzato alla scheda sul sito di provenienza

Bene di astegiudiziarie.it