highlight_off
Riferimento annuncio 321082 info

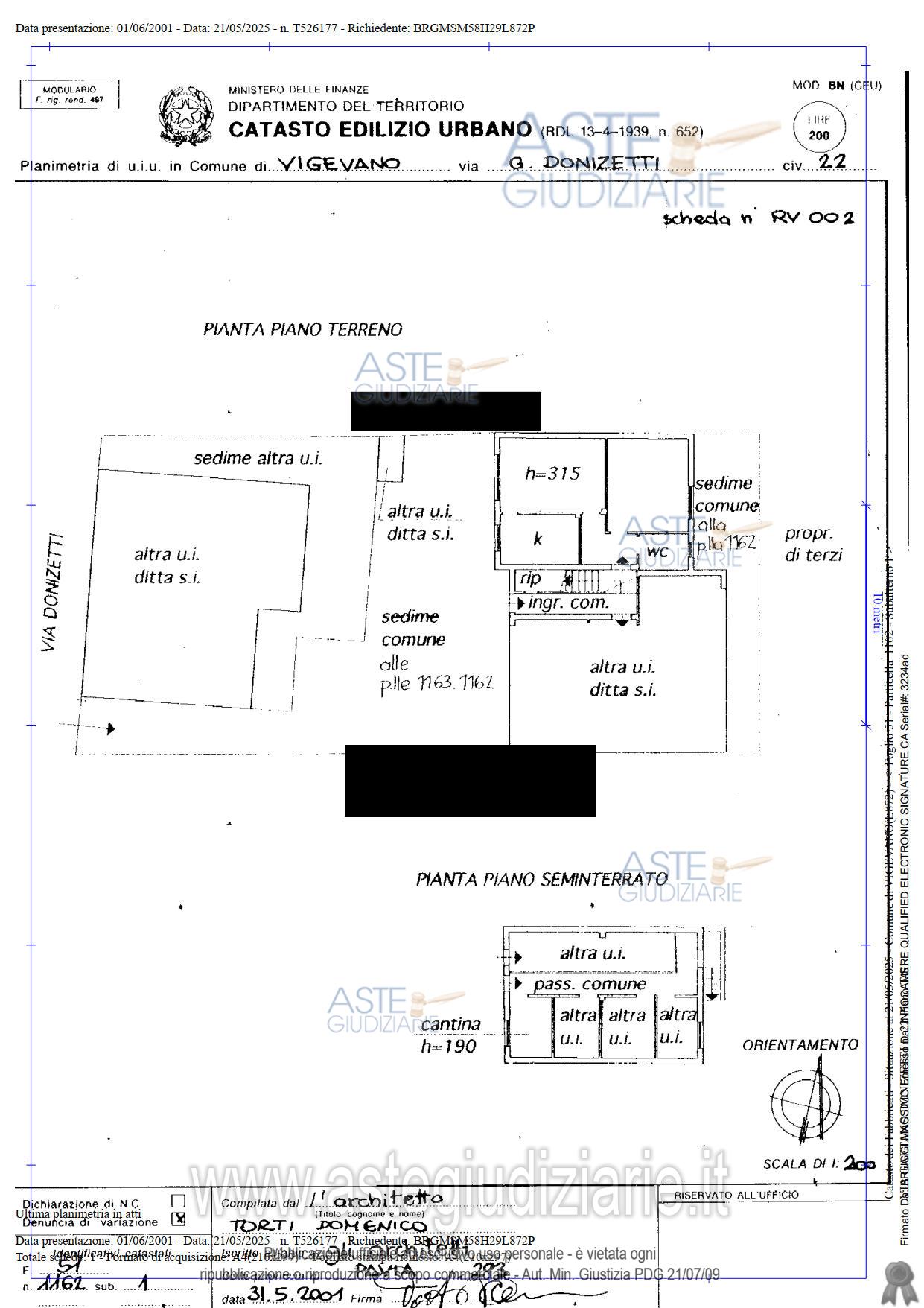
Appartamento Via Gaetano Donizetti, 22, 27029 Vigevano (PV)

0
€ 46.898
Vendita all'asta Senza incanto, con gara telematica asincrona - LOTTO UNICO: Appartamento di due locali oltre servizi, al piano terreno, primo fuori terra, con locale cantina al piano interrato, all’interno del fabbricato condominiale, denominato “Condominio Donizetti 22” Oltre al bene immobile sopra descritto, sono compresi nel lotto anche le quote di comproprietà delle parti comuni condominiali descritte nell’atto di acquisto ovvero la quota indivisa pari a 133,55/1000 su beni e spazi comuni così come esistenti. Prezzo base € 46.898,00 (offerta minima € 35.174,00). Data inizio operazioni di vendita: 22/01/2026 ore 15:00. Giudice Francesca Paola Claris Appiani. Professionista delegato alla vendita Dott. Rossella Fenini - Email "rossella.fenini.dotcom@gmail.com"; Tel. 03821560003. Custode Giudiziario Istituto Vendite Giudiziarie Srl Ifir Piemonte - Email "immobiliarivigevano@ifir.it"; Tel. 0381691137. Rif. Tribunale di Pavia - Espropriazione immobiliare (cartabia) n. 62/2025

Superficie mq
Vani
Bagni
Piano 0

Tipologia di vendita Giudiziaria
Modalità di vendita Asincrona telematica
Termine presentazione offerte 01/01/1900 ore 00:00
Data e ora inizio gara 22/01/2026 ore 15:00
Codice ID astegiudiziarie.it 4340869
0
€ 46.898

Ti interessa questa vendita?

north_east

Clicca qui per essere indirizzato alla scheda sul sito di provenienza

Bene di astegiudiziarie.it