highlight_off
Riferimento annuncio 237146 info

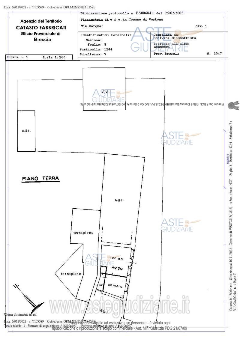
Appartamento Via Gargnà n.1., 25078 Vestone (BS)

0
€ 17.076
Vendita all'asta Senza incanto, con gara telematica asincrona - LOTTO 1: Piena proprietà con riferimento alle u.i. fg. 3 mapp. 1244 subb. 6-7; Quota di 1/4 di piena proprietà con riferimento alle u.i. fg. 3 mapp. 1303-1308-2048-2056, fg. 5 mapp. 3355-3357-3361; Trattasi, ex perizia, di unità abitativa al piano terra del corpo di fabbrica principale, due locali depositodi cui uno adibito ad autorimessa, due piccoli ripostigli e quota parte dei terreni agricoli circostanti,. Prezzo base € 17.076,44 (offerta minima € 12.807,33). Data inizio operazioni di vendita: 11/12/2025 ore 11:00. Giudice Dellesecuzione Giudice. Professionista delegato alla vendita Dott. Marco Gregorini. Custode Giudiziario Dott. Marco Gregorini - Email "gregorini@multistudiosrl.com"; Tel. 0303771476. Rif. Tribunale di Brescia - Esecuzione immobiliare post legge 80 n. 361/2022

Superficie mq
Vani
Bagni
Piano 0

Tipologia di vendita Giudiziaria
Modalità di vendita Asincrona telematica
Termine presentazione offerte 01/01/1900 ore 00:00
Data e ora inizio gara 11/12/2025 ore 11:00
Codice ID astegiudiziarie.it 4277338
0
€ 17.076

Ti interessa questa vendita?

north_east

Clicca qui per essere indirizzato alla scheda sul sito di provenienza

Bene di astegiudiziarie.it