highlight_off
Riferimento annuncio 308933 info

Appartamento Via Giovanni Verga, 91019 Valderice TP, Italia, 91019 Valderice (TP)

0
€ 36.663
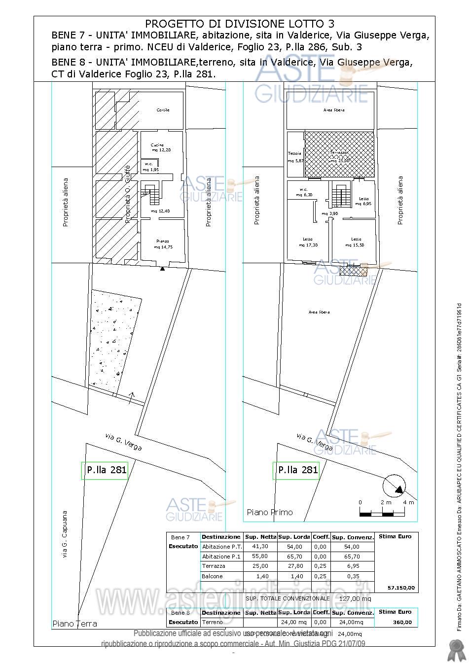
Vendita all'asta Senza incanto, con gara telematica sincrona mista - LOTTO 3: Il lotto si compone di n. 2 beni:- Bene n 7: Fabbricato Civile ubicato in Valderice via Giovanni Verga, c.da S. Barnaba, posto su due livelli (piano terra e primo piano)- Bene n. 8: terreno in parte pavimentato con battuto in cemento in parte in abbandono (antistante fabbricato). Prezzo base € 36.663,00 (offerta minima € 27.497,25). Data vendita 21/01/2026 ore 17:00. Professionista delegato alla vendita Avv. Valeria Maria Raineri - Email "avv.raineri@gmail.com"; Cell. 3394846347; Tel. 3394846347. Custode Giudiziario Avv. Valeria Maria Raineri - Email "avv.raineri@gmail.com"; Cell. 3394846347; Tel. 3394846347. Rif. Tribunale di Trapani - Contenzioso civile n. 1543/2020

Superficie mq
Vani
Bagni
Piano 0

Tipologia di vendita Giudiziaria
Modalità di vendita Sincrona mista
Termine presentazione offerte 20/01/2026 ore 13:00
Data e ora inizio gara 21/01/2026 ore 17:00
Codice ID astegiudiziarie.it 4330749
0
€ 36.663

Ti interessa questa vendita?

north_east

Clicca qui per essere indirizzato alla scheda sul sito di provenienza

Bene di astegiudiziarie.it