highlight_off
Riferimento annuncio 271545 info

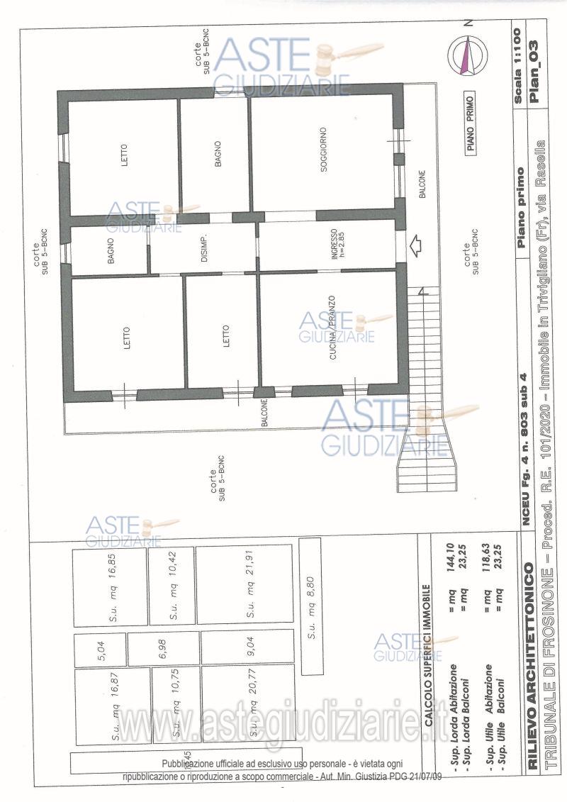
Appartamento Via Rasella, snc - Contrada Valcagnano, 03010 Trivigliano (FR)

10,00
1605,06
2
1
€ 47.541
Vendita all'asta Senza incanto, con gara telematica asincrona - LOTTO UNICO: Proprietà pari a 23/40 su appartamento al piano terra di un fabbricato di civile abitazione a duplice elevazione, appartamento al piano primo e terreno edificabile. Prezzo base € 47.541,00 (offerta minima € 35.655,75). Data inizio operazioni di vendita: 15/01/2026 ore 12:30. Giudice Simona Di Nicola. Professionista delegato alla vendita Dott. Nicoletta Cascone - Email "cascone.n@dottcomweb.it". Custode Giudiziario Dott. Nicoletta Cascone - Email "cascone.n@dottcomweb.it". Rif. Tribunale di Frosinone - Esecuzione immobiliare post legge 80 n. 101/2020

Superficie 1605,06 mq
Vani 10,00
Bagni 2
Piano 1

Tipologia di vendita Giudiziaria
Modalità di vendita Asincrona telematica
Termine presentazione offerte 14/01/2026 ore 12:00
Data e ora inizio gara 15/01/2026 ore 12:30
Codice ID astegiudiziarie.it 4301638
10,00
1605,06
2
1
€ 47.541

Ti interessa questa vendita?

north_east

Clicca qui per essere indirizzato alla scheda sul sito di provenienza

Bene di astegiudiziarie.it