highlight_off
Riferimento annuncio 300186 info

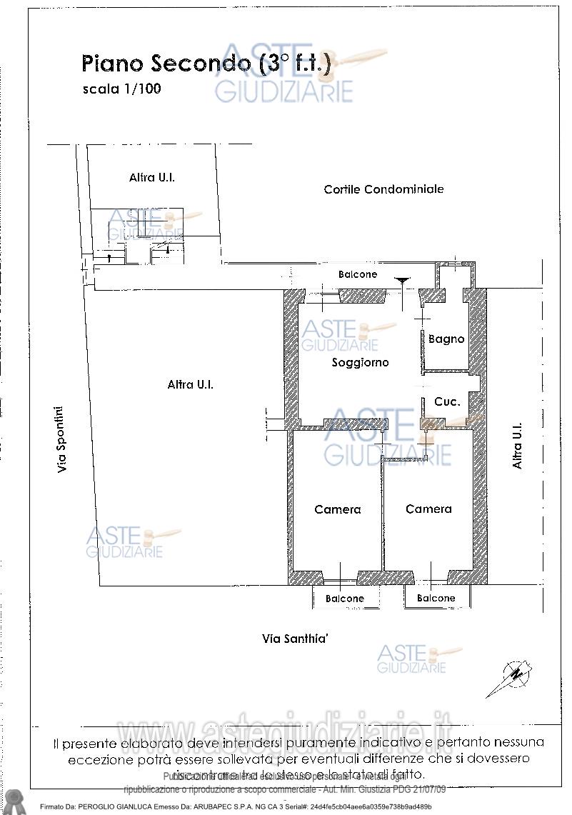
Appartamento Via Gaspare Spontini, 26, 10154 Torino TO, Italia, 10100 Torino (TO)

4,50
80,00
2
€ 46.000
Vendita all'asta Senza incanto, con gara telematica asincrona - LOTTO UNICO: . al piano secondo (terzo fuori terra), con accesso dal ballatoio, alloggio composto di soggiorno, bagno, cucinino, due camere con disimpegno e due balconi,. al piano cantine due locali cantina. Prezzo base € 46.000,00 (offerta minima € 34.500,00). Data inizio operazioni di vendita: 20/01/2026 ore 15:30. Giudice Simona Gambacorta. Professionista delegato alla vendita Avv. Caterina Bertani - Email "c.bertani@avvocatibdpm.it"; Tel. 0115611772. Custode Giudiziario Ifir Piemonte Ivg Srl - Email "richieste.visite@ivgpiemonte.it"; Tel. 011482822. Rif. Tribunale di Torino - Espropriazione immobiliare (cartabia) n. 268/2024

Superficie 80,00 mq
Vani 4,50
Bagni
Piano 2

Tipologia di vendita Giudiziaria
Modalità di vendita Asincrona telematica
Termine presentazione offerte 01/01/1900 ore 00:00
Data e ora inizio gara 20/01/2026 ore 15:30
Codice ID astegiudiziarie.it 4323942
4,50
80,00
2
€ 46.000

Ti interessa questa vendita?

north_east

Clicca qui per essere indirizzato alla scheda sul sito di provenienza

Bene di astegiudiziarie.it