highlight_off
Riferimento annuncio 118395 info

Appartamento Via Cocconato, 26, 14027 Moransengo-Tonengo AT, Italia, 14023 Tonengo (AT)

8,50
239,00
2
0
€ 18.984
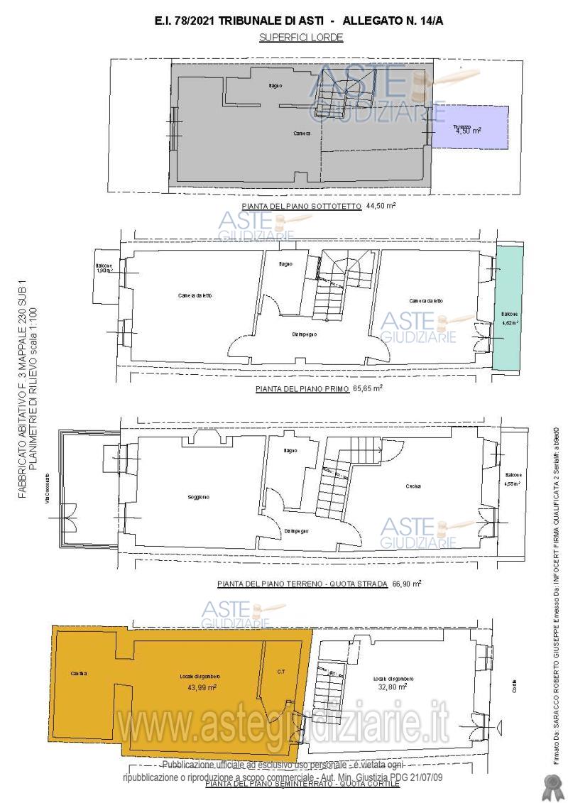
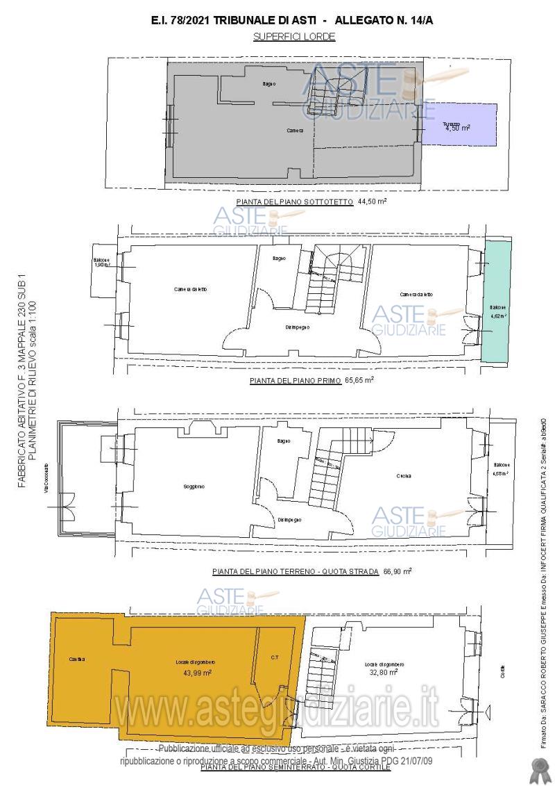
Vendita all'asta Senza incanto, con gara telematica asincrona - LOTTO UNICO: Fabbricato di civile abitazione, elevato a due piani fuori terra con seminterrato e sottotetto abitabile, dotato di area di cortile con fabbricato accessorio al suo interno. Prezzo base € 18.983,70 (offerta minima € 14.237,78). Data inizio operazioni di vendita: 18/06/2026 ore 16:00. Giudice: Paola Amisano. Professionista delegato alla vendita: Avv. Silvia Bianco - Tel. 0141/436252. Custode Giudiziario: Ifir Piemonte Ivg Srl - Email "richiestevisite.asti@ivgpiemonte.it"; Tel. 011/4731714011473121; Cell. 366/6515980. Rif. Tribunale di Asti - Esecuzione immobiliare post legge 80 n. 78/2021

Superficie 239,00 mq
Vani 8,50
Bagni 2
Piano 0

Tipologia di vendita Giudiziaria
Modalità di vendita Asincrona telematica
Termine presentazione offerte 17/06/2026 ore 12:00
Data e ora inizio gara 18/06/2026 ore 16:00
Codice ID astegiudiziarie.it 4229168
8,50
239,00
2
0
€ 18.984

Ti interessa questa vendita?

north_east

Clicca qui per essere indirizzato alla scheda sul sito di provenienza

Bene di astegiudiziarie.it