highlight_off
Riferimento annuncio 310134 info

Appartamento Via della Missione, 9, 00019 Tivoli RM, Italia, 00019 Tivoli (RM)

54,00
1
€ 38.718
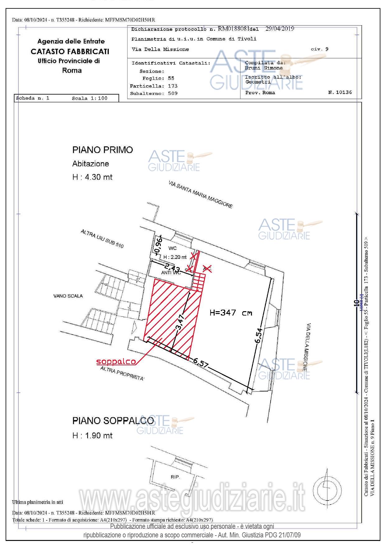
Vendita all'asta Senza incanto, con gara telematica asincrona - LOTTO 01: Quota pari a 1/1 del diritto di proprietà su appartamento sito in Tivoli (RM) Via della Missione 9 piano 1, composto da un unico vano formato da ingresso/camera/soggiorno ed angolo cottura oltre a bagno ed anti bagno ed è presente inoltre un piccolo soppalco sopra il bagno senza accesso diretto dal piano sottostante, per complessivi mq. 54. Prezzo base € 38.717,77 (offerta minima € 29.038,33). Data inizio operazioni di vendita: 14/10/2025 ore 15:00. Giudice Francesco Lupia. Professionista delegato alla vendita Rag. Marilena Pacchiarotti - Email "marilena.pacchiarotti@studiopacchiarotti.it"; Cell. 3665866142. Custode Giudiziario Ivg Di Roma Srl - Email "pvp@visiteivgroma.it"; Cell. 0689569801. Rif. Tribunale di Tivoli - Espropriazione immobiliare (cartabia) n. 51/2024

Superficie 54,00 mq
Vani
Bagni
Piano 1

Tipologia di vendita Giudiziaria
Modalità di vendita Asincrona telematica
Termine presentazione offerte 01/01/1900 ore 00:00
Data e ora inizio gara 14/10/2025 ore 15:00
Codice ID astegiudiziarie.it 4331435
54,00
1
€ 38.718

Ti interessa questa vendita?

north_east

Clicca qui per essere indirizzato alla scheda sul sito di provenienza

Bene di astegiudiziarie.it