highlight_off
Riferimento annuncio 233895 info

Appartamento Corso Margherita snc, 87010 Terranova da Sibari (CS)

1,00
163,00
0
€ 19.617
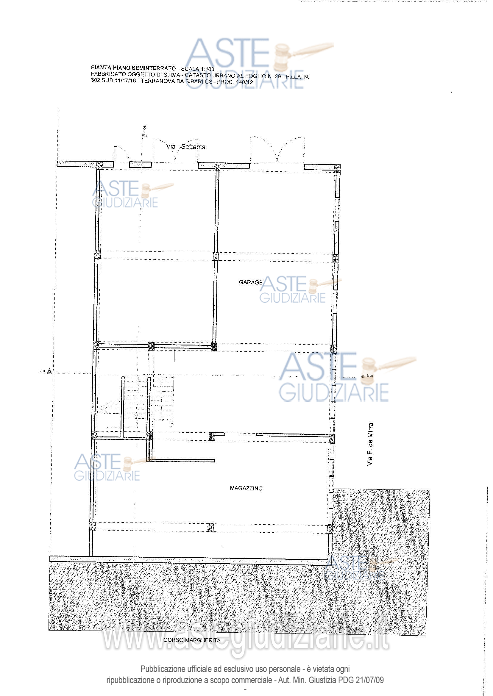
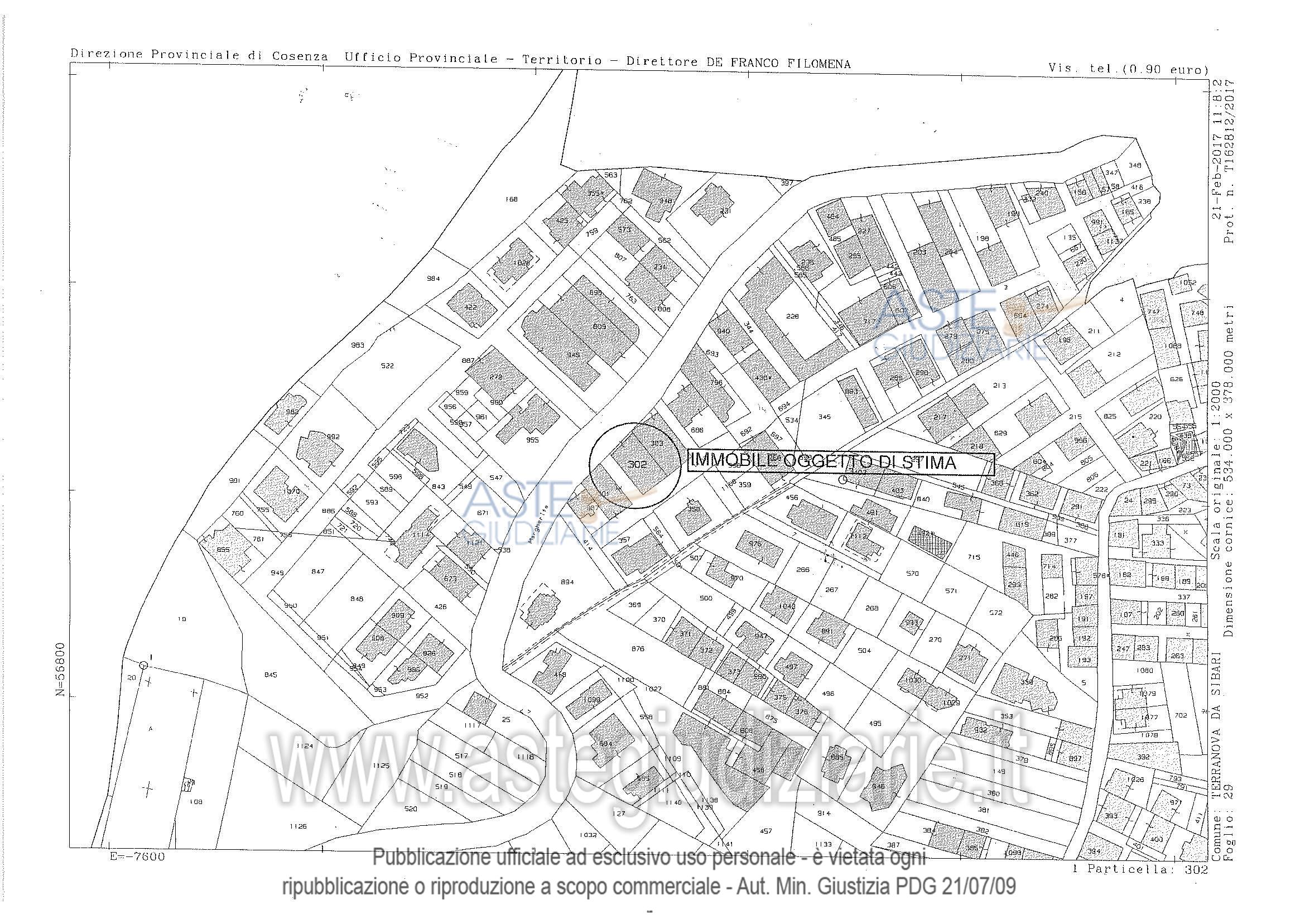
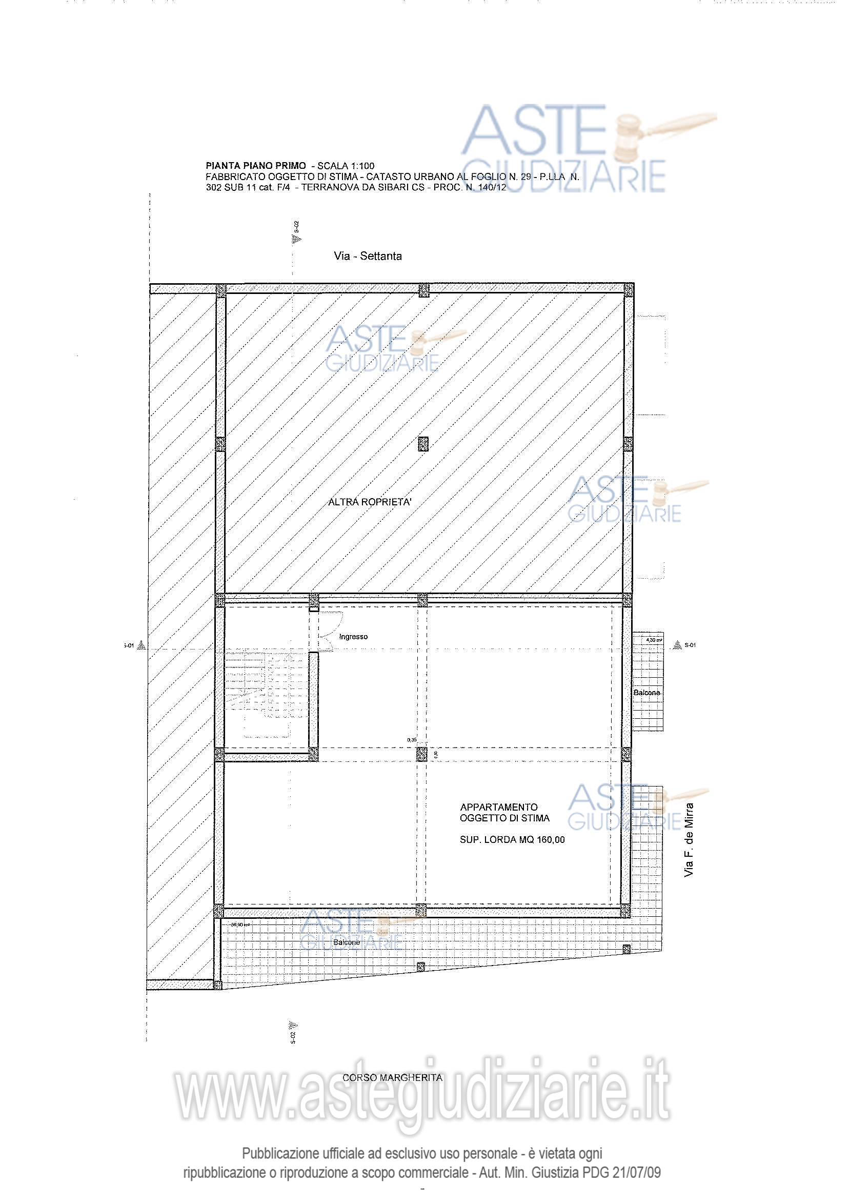
Vendita all'asta Senza incanto, con gara telematica sincrona - LOTTO 1: UNITÀ IMMOBILIARE, sita nel comune di Terranova da Sibari censita nel catasto fabbricati al foglio 29, particella 302 sub. 11 in corso di definizione cat. F/4, situata al piano 1, superficie lorda complessiva pari a mq 163,00; foglio 29, p.lla 302 sub 17, cat. C/2, piano S1 superficie catastale pari amq 49,00 foglio 29, p.lla 302 sub 18, cat. C/2, piano S1 superficie catastale pari a mq 83,00. Prezzo base € 19.617,18 (offerta minima € 14.712,89). Data vendita 11/02/2026 ore 15:00. Giudice Giuliana Gaudiano. Professionista delegato alla vendita Dott. Mariangela Salvante - Email "salvantemariangela@msn.com". Custode Giudiziario Dott. Mariangela Salvante - Email "salvantemariangela@msn.com". Rif. Tribunale di Castrovillari - Esecuzione immobiliare post legge 80 n. 140/2012

Superficie 163,00 mq
Vani 1,00
Bagni
Piano 0

Tipologia di vendita Giudiziaria
Modalità di vendita Sincrona telematica
Termine presentazione offerte 01/01/1900 ore 00:00
Data e ora inizio gara 11/02/2026 ore 15:00
Codice ID astegiudiziarie.it 4272057
1,00
163,00
0
€ 19.617

Ti interessa questa vendita?

north_east

Clicca qui per essere indirizzato alla scheda sul sito di provenienza

Bene di astegiudiziarie.it