highlight_off
Riferimento annuncio 317442 info

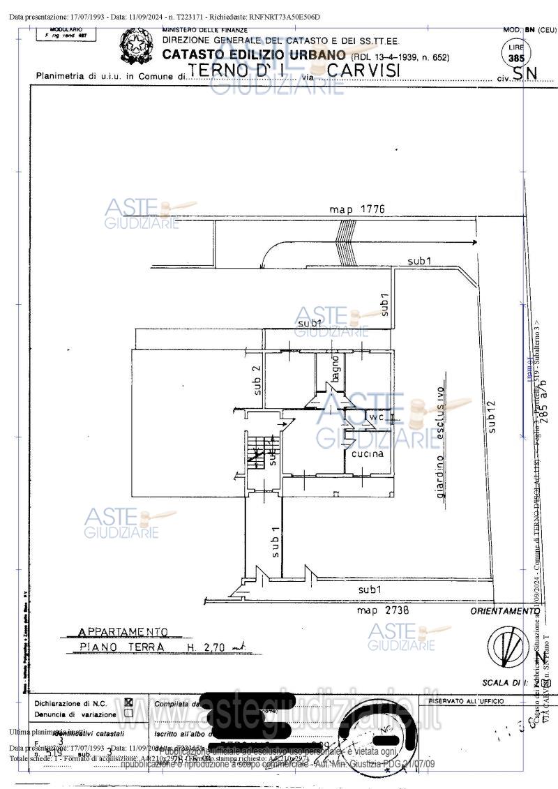
Appartamento Via Carvisi, Terno D'isola BG, Italia, 24030 Terno d'Isola (BG)

5,00
172,00
1
0
€ 139.000
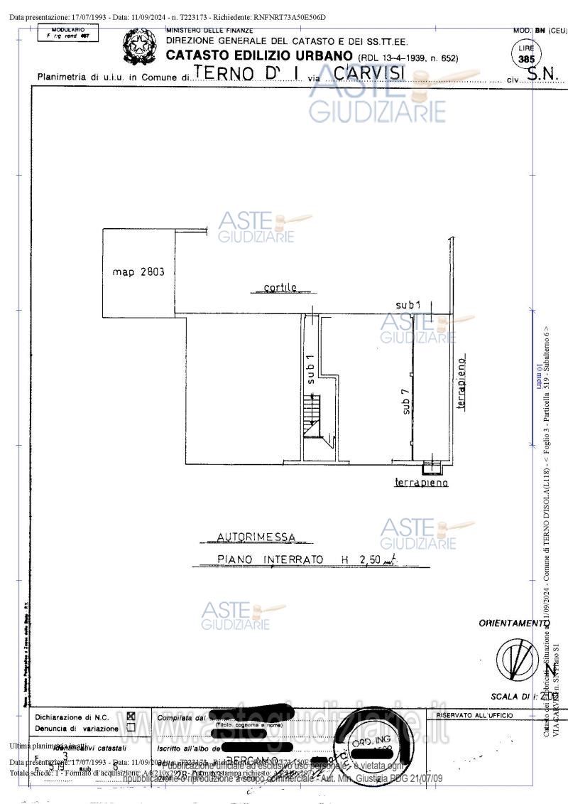
Vendita all'asta Senza incanto, con gara telematica asincrona - LOTTO UNICO: ABITAZIONE E DUE BOX DOPPI IN TERNO D'ISOLA VIA CARVISI S.N. Prezzo base € 139.000,00 (offerta minima € 104.250,00). Data inizio operazioni di vendita: 11/12/2025 ore 15:00. Professionista delegato alla vendita Avv. Giuseppe Racalbuto - Email "segreteria@in-lex.it"; Tel. 0350633862. Custode Giudiziario Dott. Giamomo Andreoletti - Email "info@studioandreoletti.com"; Tel. 035243375. Rif. Tribunale di Bergamo - Espropriazione immobiliare (cartabia) n. 329/2024

Superficie 172,00 mq
Vani 5,00
Bagni 1
Piano 0

Tipologia di vendita Giudiziaria
Modalità di vendita Asincrona telematica
Termine presentazione offerte 10/12/2025 ore 12:00
Data e ora inizio gara 11/12/2025 ore 15:00
Codice ID astegiudiziarie.it 4336765
5,00
172,00
1
0
€ 139.000

Ti interessa questa vendita?

north_east

Clicca qui per essere indirizzato alla scheda sul sito di provenienza

Bene di astegiudiziarie.it