highlight_off
Riferimento annuncio 319582 info

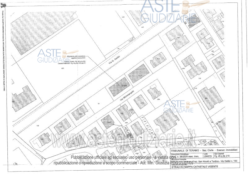
Appartamento Via Galileo Galilei, 100, 64100 San Nicolò A Tordino TE, Italia, 64100 Teramo (TE)

5,50
100,00
0
€ 100.000
Vendita all'asta Senza incanto, con gara telematica asincrona - LOTTO UNICO: diritti pari alla piena proprietà di un appartamento mansardato con annessi fondaco e garage. Prezzo base € 100.000,00 (offerta minima € 75.000,00). Data inizio operazioni di vendita: 28/01/2026 ore 10:00. Giudice Dott. Flavio Conciatori. Professionista delegato alla vendita Dott. Nilde Di Fabio - Email "nildemi@virgilio.it"; Cell. 3286454907; Tel. 0858003627. Custode Giudiziario Dott. Nilde Di Fabio - Email "nildemi@virgilio.it"; Cell. 3286454907; Tel. 0858003627. Rif. Tribunale di Teramo - Espropriazione immobiliare (cartabia) n. 96/2025

Superficie 100,00 mq
Vani 5,50
Bagni
Piano 0

Tipologia di vendita Giudiziaria
Modalità di vendita Asincrona telematica
Termine presentazione offerte 01/01/1900 ore 00:00
Data e ora inizio gara 28/01/2026 ore 10:00
Codice ID astegiudiziarie.it 4339146
5,50
100,00
0
€ 100.000

Ti interessa questa vendita?

north_east

Clicca qui per essere indirizzato alla scheda sul sito di provenienza

Bene di astegiudiziarie.it