highlight_off
Riferimento annuncio 253990 info

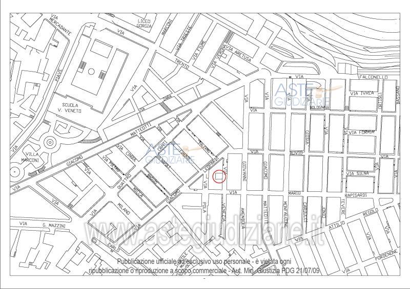
Appartamento via Venezia 8- 10, 96100 Siracusa (SR)

0
€ 23.372
Vendita all'asta Senza incanto - LOTTO UNICO: Lotto Unico: piena proprietà di edificio composto da n 2 unità immobiliari: appartamento in Lentini (Sr) alla via Venezia n 10 piano 1,2,3, in catasto urbano f.92, p.743, sub5, cat A/4; garage in Lentini (Sr), alla via Venezia n 8, piano T, in catasto urbano f.92, p.743, sub4, cat C/6. Prezzo base € 23.372,00 (offerta minima € 17.529,00). Data vendita 22/05/2026 ore 12:00. Professionista delegato alla vendita: Avv. Carmelo Cataudella - Email "avvcataudellacarmelo@libero.it"; Tel. 0931/449210; Cell. 347/4804725. Custode Giudiziario: Avv. Carmelo Cataudella - Email "avvcataudellacarmelo@libero.it"; Tel. 0931/449210; Cell. 347/4804725. Rif. Tribunale di Siracusa - Esecuzione immobiliare post legge 80 n. 461/2012

Superficie mq
Vani
Bagni
Piano 0

Tipologia di vendita Giudiziaria
Modalità di vendita Presso il venditore
Termine presentazione offerte 01/01/1900 ore 00:00
Data e ora inizio gara 22/05/2026 ore 12:00
Codice ID astegiudiziarie.it 265302
0
€ 23.372

Ti interessa questa vendita?

north_east

Clicca qui per essere indirizzato alla scheda sul sito di provenienza

Bene di astegiudiziarie.it