highlight_off
Riferimento annuncio 318575 info

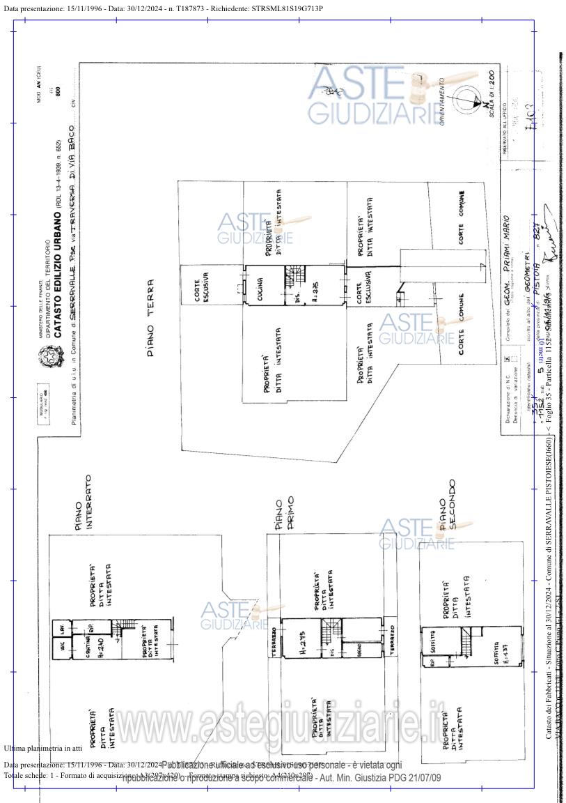
Appartamento Via Baco, 113, 51030 Cantagrillo PT, Italia, 51030 Serravalle Pistoiese (PT)

8,00
376,44
0
€ 201.500
Vendita all'asta Senza incanto, con gara telematica asincrona - LOTTO UNICO: Appartamento così distribuito: al piano interrato, ampiacantina (con accesso diretto alla rimessa), ripostiglio, lavanderia e wc; al piano terra,ingresso/soggiorno, disimpegno, cucina con accesso alla corte esclusiva tergale; - al piano primo,disimpegno, due camere, un bagno oltre a due terrazzi; - al piano secondo sottotetto, da due soffitte(utilizzate a masarda e cucina) e un wc.Tutti i piani sono collegati tra loro da vano scale interno. Risulta di pertinenza esclusiva anche una rimessa . Prezzo base € 201.500,00 (offerta minima € 151.125,00). Data inizio operazioni di vendita: 02/07/2026 ore 10:00. Giudice: Sergio Garofalo. Professionista delegato alla vendita: Avv. Sonia Tripi. Custode Giudiziario: Isveg - Email "prenota.pt@isveg.it". Rif. Tribunale di Pistoia - Espropriazione immobiliare (cartabia) n. 235/2024

Superficie 376,44 mq
Vani 8,00
Bagni
Piano 0

Tipologia di vendita Giudiziaria
Modalità di vendita Asincrona telematica
Termine presentazione offerte 01/07/2026 ore 12:00
Data e ora inizio gara 02/07/2026 ore 10:00
Codice ID astegiudiziarie.it 4338807
8,00
376,44
0
€ 201.500

Ti interessa questa vendita?

north_east

Clicca qui per essere indirizzato alla scheda sul sito di provenienza

Bene di astegiudiziarie.it