highlight_off
Riferimento annuncio 259769 info

Appartamento Via Morimenta De Basciu , 7, 09010 Santadi (SU)

9,50
185,00
2
0
€ 25.116
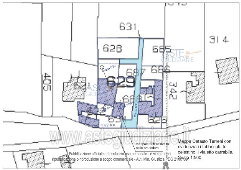
Vendita all'asta Senza incanto, con gara telematica asincrona - LOTTO UNICO: Quota pari all'intero diritto di proprietà sull'immobile sito in Santadi (SU) Via Morimenta de Basciu n. 7, costituito da abitazione indipendente con area cortilizia esclusiva, composta da due piani fuori terra, suddivisa nei seguenti ambienti, al piano terra: disimpegno, cucina, dispensa, bagno, soggiorno, ingresso. Al primo piano: tre camere da letto, cucinotto, bagno, disimpegno e piccolo deposito, veranda chiusa e terrazza. Dal cortile interno si ha accesso ad un grande deposito e ad una rimessa. Prezzo base € 25.116,48 (offerta minima € 18.837,36). Data inizio operazioni di vendita: 22/10/2025 ore 15:00. Giudice Dott. Silvia Cocco. Professionista delegato alla vendita Avv. Loredana Boi - Email "info@studiolegaleboi.it"; Tel. 07015247039. Custode Giudiziario Ivg Cagliari - Email "ivg.visiteimmobili@tiscali.it"; Tel. 0702299036. Rif. Tribunale di Cagliari - Esecuzione immobiliare post legge 80 n. 332/2018

Superficie 185,00 mq
Vani 9,50
Bagni 2
Piano 0

Tipologia di vendita Giudiziaria
Modalità di vendita Asincrona telematica
Termine presentazione offerte 21/10/2025 ore 15:00
Data e ora inizio gara 22/10/2025 ore 15:00
Codice ID astegiudiziarie.it 4293805
9,50
185,00
2
0
€ 25.116

Ti interessa questa vendita?

north_east

Clicca qui per essere indirizzato alla scheda sul sito di provenienza

Bene di astegiudiziarie.it