Riferimento annuncio 300849
        
    
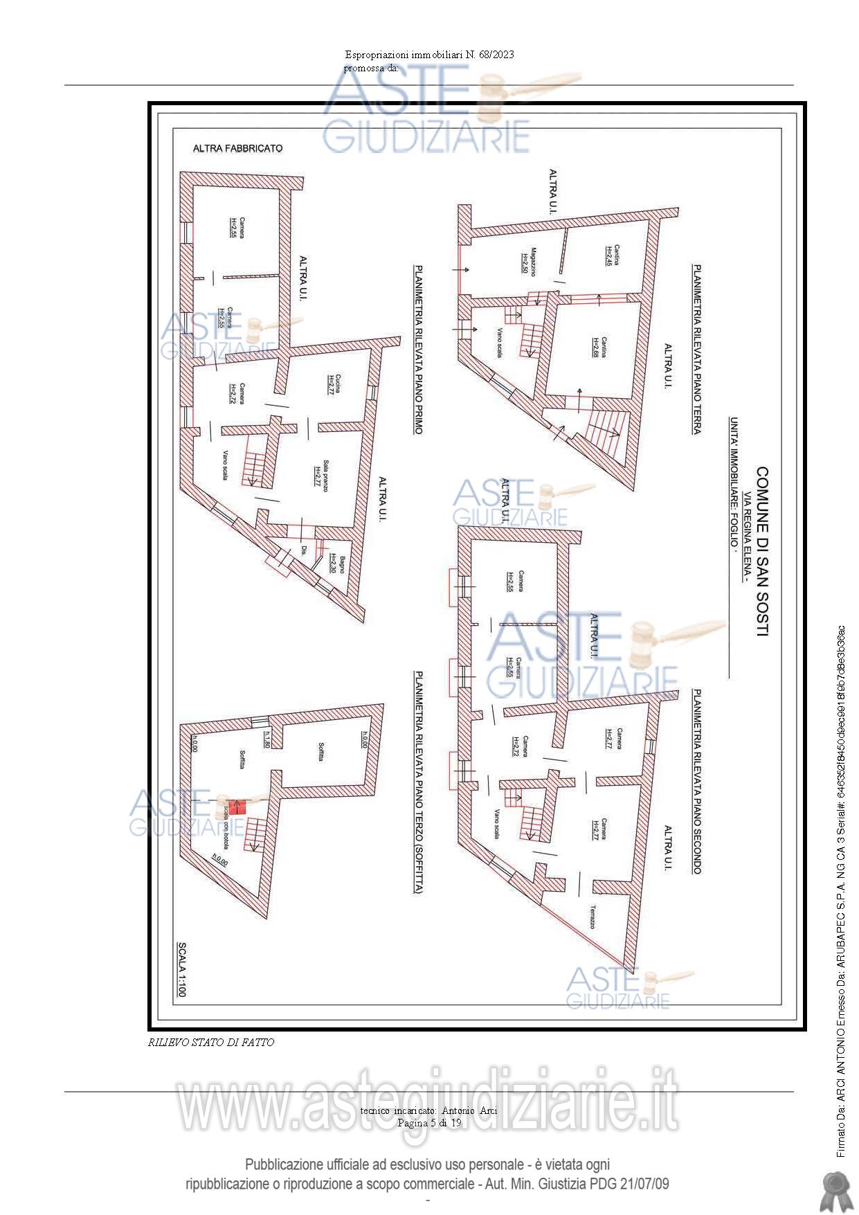
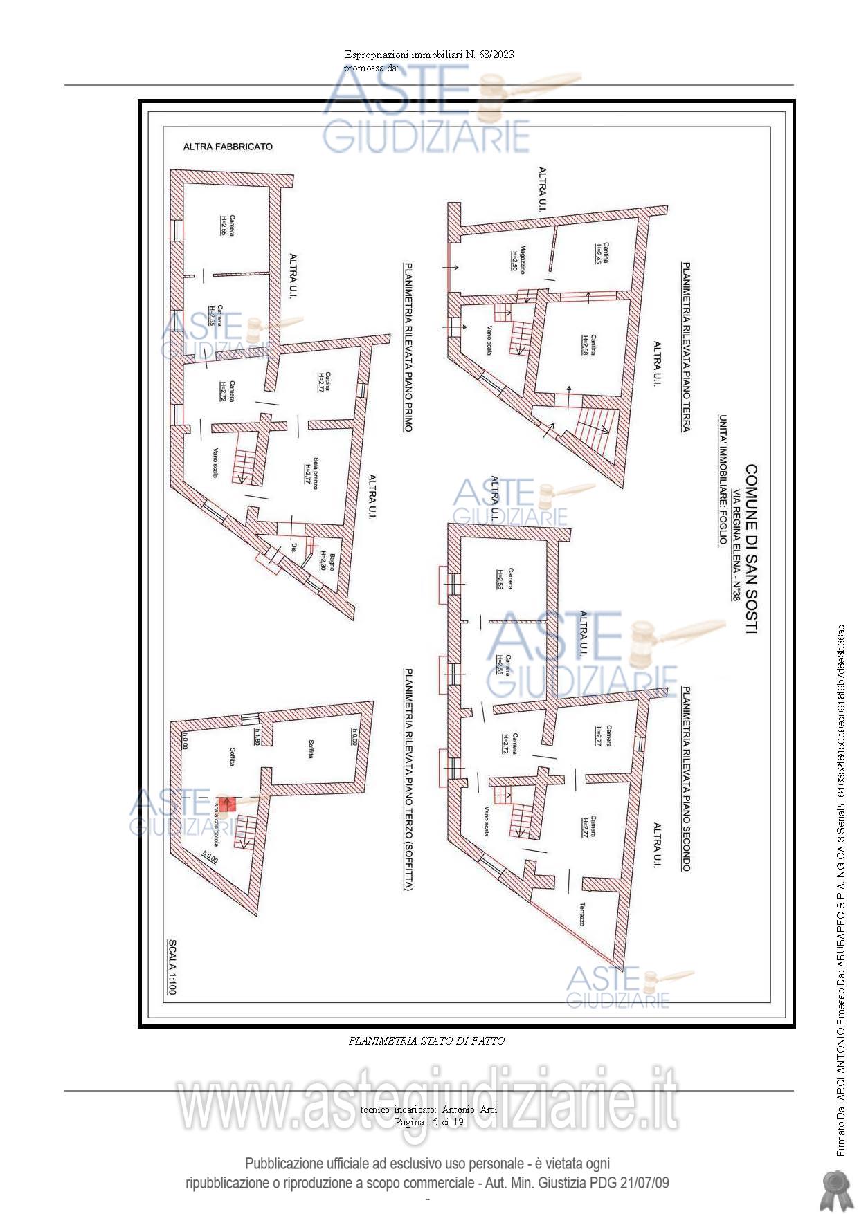
    Appartamento Via Regina Elena 6, 87010 San Sosti (CS)
                
                231,33
            
            
                
                0
            
        
€ 38.475    
                Vendita all'asta Senza incanto, con gara telematica sincrona - LOTTO UNICO:  Unità immobiliare sita in San Sosti (CS), Via Regina Elena n. 6, composta da ingresso, garage e magazzino al p.t, sei vani e bagno al p. 1, sei vani al p. 2. Prezzo base € 38.475,00 (offerta minima € 28.856,00). Data vendita 22/12/2025 ore 16:00. Giudice Giuliana Gaudiano. Professionista delegato alla vendita Avv. Francesco Giordano - Email "giordanolegale@arubapec.it". Custode Giudiziario Avv. Francesco Giordano - Email "giordanolegale@arubapec.it".  Rif. Tribunale di Castrovillari - Espropriazione immobiliare (cartabia) n. 68/2023
            
   
| Superficie | 231,33 mq | 
|---|---|
| Vani | |
| Bagni | |
| Piano | 0 | 
| Tipologia di vendita | Giudiziaria | 
|---|---|
| Modalità di vendita | Sincrona telematica | 
| Termine presentazione offerte | 01/01/1900 ore 00:00 | 
| Data e ora inizio gara | 22/12/2025 ore 16:00 | 
 
                         
                         
                         
                         
                         
                         
                         
                         
                         
                         
                         
                        