highlight_off
Riferimento annuncio 324447 info

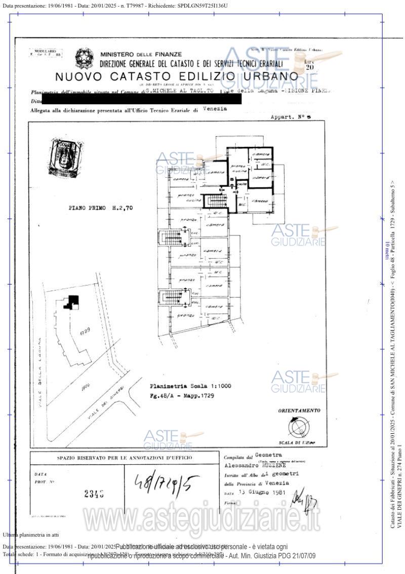
Appartamento Bibione Pineda, Viale dei Ginepri, 272, 30028 San Michele al Tagliamento (VE)

4,50
42,00
1
€ 81.000
Vendita all'asta Senza incanto, con gara telematica sincrona - LOTTO UNICO: Nel Condominio Gavitello - Appartamento al primo piano della scala A del Condominio composto da: cucina-soggiorno, disimpegno, 2 camere, bagno e 2 terrazzi. L’appartamento ha una superficie di 42 mq mentre i 2 terrazzi esterni di 24 mq per una superficie complessiva di ca. 66 mq. Posto auto riservato, contrassegnato con il n. 5 ubicato nell’area esterna di pertinenza del Condominio. CL.EN. G. L’immobile è libero da persone, ma occupato da beni mobili del debitore esecutato. Prezzo base € 81.000,00 (offerta minima € 60.750,00). Data vendita 18/03/2026 ore 15:30. Giudice Dott. Antonio Albenzio. Professionista delegato alla vendita Avv. Raffaella Verardo - Email "info@raffaellaverardo.it"; Tel. 04341800215. Custode Giudiziario Avv. Raffaella Verardo - Email "info@raffaellaverardo.it"; Tel. 04341800215. Rif. Tribunale di Pordenone - Espropriazione immobiliare (cartabia) n. 61/2024

Superficie 42,00 mq
Vani 4,50
Bagni
Piano 1

Tipologia di vendita Giudiziaria
Modalità di vendita Sincrona telematica
Termine presentazione offerte 01/01/1900 ore 00:00
Data e ora inizio gara 18/03/2026 ore 15:30
Codice ID astegiudiziarie.it 4343538
4,50
42,00
1
€ 81.000

Ti interessa questa vendita?

north_east

Clicca qui per essere indirizzato alla scheda sul sito di provenienza

Bene di astegiudiziarie.it