highlight_off
Riferimento annuncio 323058 info

Appartamento Via del Fullone nn. 10, 12, 14, 16, 18 e 22, 87018 San Marco Argentano (CS)

7,00
361,85
0
€ 112.000
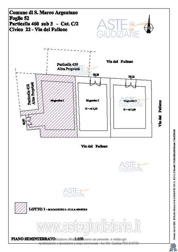
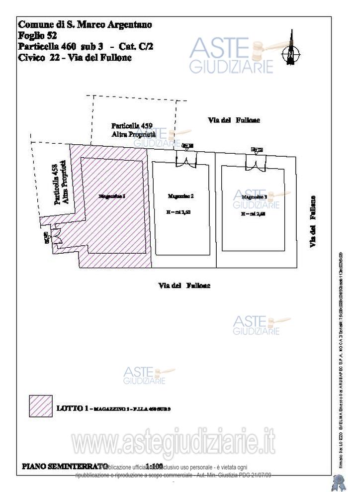
Vendita all'asta Senza incanto, con gara telematica sincrona - LOTTO UNICO: Fabbricato su 4 livelli: piano seminterrato, con 3 magazzini non rifiniti, attualmente adibiti a deposito; piano terra con 3 locali intercomunicanti; unità immobiliare ad uso abitativo al piano primo con 3 vani ampi (2 camere da letto, soggiorno-pranzo) forniti di balcone, vano adibito a wc, un piccolo vano adibito a cucina, un ripostiglio e disimpegni; tramite una scala interna si accede al piano secondo, con vano ampio adibito a camera da letto, vano wc e un disimpegno, dotato di balcone. Prezzo base € 112.000,00 (offerta minima € 84.000,00). Data vendita 25/03/2026 ore 10:00. Giudice Dott. Giuseppe Sicilia. Professionista delegato alla vendita Avv. Mariafrancesca Ciardullo - Email "avv.mfciardullo@studiolegaleciardullo.com"; Tel. 0984653941. Custode Giudiziario Avv. Mariafrancesca Ciardullo - Email "avv.mfciardullo@studiolegaleciardullo.com"; Tel. 0984653941. Rif. Tribunale di Cosenza - Espropriazione immobiliare (cartabia) n. 108/2023

Superficie 361,85 mq
Vani 7,00
Bagni
Piano 0

Tipologia di vendita Giudiziaria
Modalità di vendita Sincrona telematica
Termine presentazione offerte 01/01/1900 ore 00:00
Data e ora inizio gara 25/03/2026 ore 10:00
Codice ID astegiudiziarie.it 4342115
7,00
361,85
0
€ 112.000

Ti interessa questa vendita?

north_east

Clicca qui per essere indirizzato alla scheda sul sito di provenienza

Bene di astegiudiziarie.it