highlight_off
Riferimento annuncio 252385 info

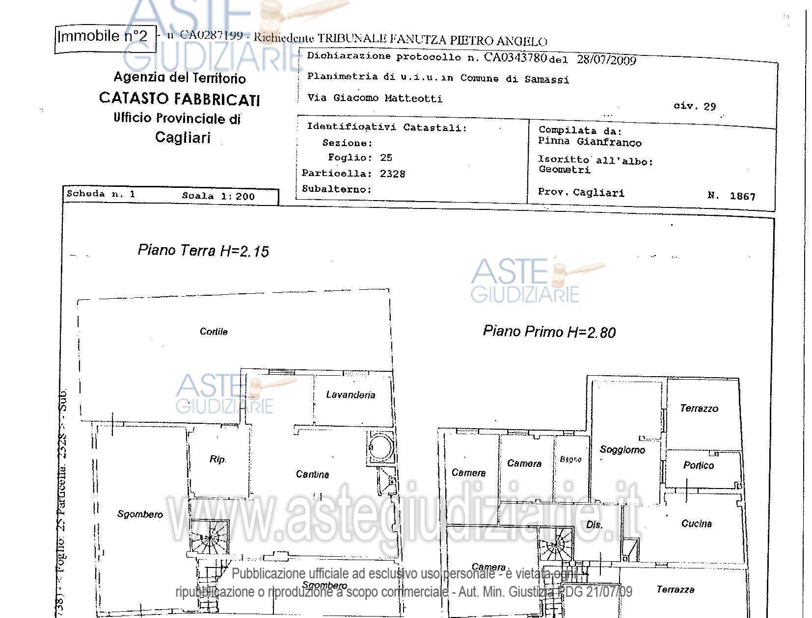
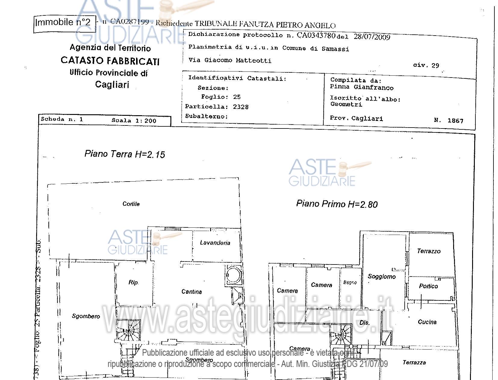
Appartamento Via Matteotti n.29, 09030 Samassi (SU)

6,00
159,00
0
€ 49.900
Vendita all'asta Senza incanto, con gara telematica asincrona - LOTTO UNICO: Casa indipendente su due livelli con giardino retrostante e piazzale antistante non di proprietà ma con servitù di passaggio. Prezzo base € 49.900,03 (offerta minima € 37.425,02). Data inizio operazioni di vendita: 10/02/2026 ore 12:00. Giudice Silvia Cocco. Professionista delegato alla vendita Dott. Alessia Guerzoni - Email "aleguerzoni@tiscali.it"; Tel. 0706848038. Custode Giudiziario Ivg Cagliari - Email "ivg.visiteimmobili@tiscali.it"; Tel. 0702299036. Rif. Tribunale di Cagliari - Esecuzione immobiliare post legge 80 n. 56/2012

Superficie 159,00 mq
Vani 6,00
Bagni
Piano 0

Tipologia di vendita Giudiziaria
Modalità di vendita Asincrona telematica
Termine presentazione offerte 09/02/2026 ore 12:00
Data e ora inizio gara 10/02/2026 ore 12:00
Codice ID astegiudiziarie.it 4286783
6,00
159,00
0
€ 49.900

Ti interessa questa vendita?

north_east

Clicca qui per essere indirizzato alla scheda sul sito di provenienza

Bene di astegiudiziarie.it