highlight_off
Riferimento annuncio 281379 info

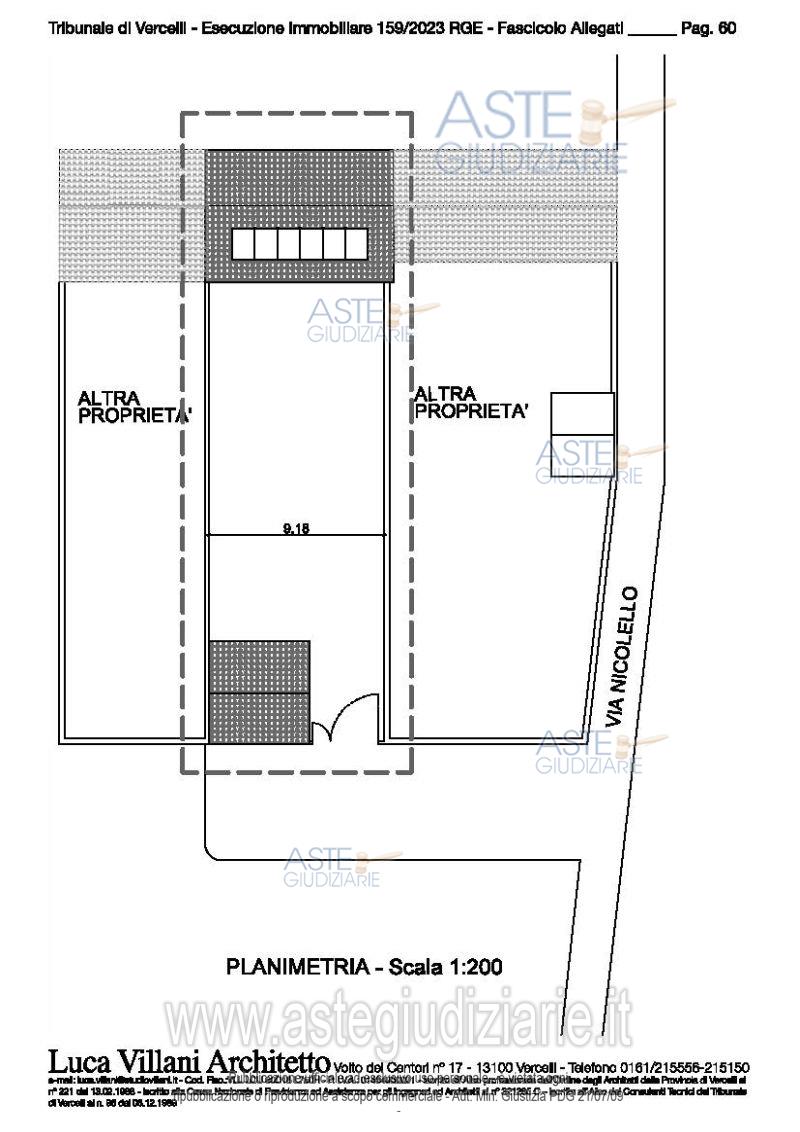
Appartamento Via Nicolello, 30, 13040 Saluggia VC, Italia, 13040 Saluggia (VC)

4,00
184,00
0
€ 21.545
Vendita all'asta Senza incanto, con gara telematica asincrona - LOTTO UNICO: Casa di civile abitazione con annessa autorimessa e cortile di pertinenza. Prezzo base € 21.545,00 (offerta minima € 16.158,75). Data inizio operazioni di vendita: 21/01/2026 ore 09:30. Giudice Annalisa Fanini. Professionista delegato alla vendita Avv. Sara Deangelis - Email "cedars@cedarsassociati.it"; Tel. 0161250923. Custode Giudiziario Avv. Sara Deangelis - Email "cedars@cedarsassociati.it"; Tel. 0161250923. Rif. Tribunale di Vercelli - Esecuzione immobiliare post legge 80 n. 159/2023

Superficie 184,00 mq
Vani 4,00
Bagni
Piano 0

Tipologia di vendita Giudiziaria
Modalità di vendita Asincrona telematica
Termine presentazione offerte 20/01/2026 ore 12:00
Data e ora inizio gara 21/01/2026 ore 09:30
Codice ID astegiudiziarie.it 4309518
4,00
184,00
0
€ 21.545

Ti interessa questa vendita?

north_east

Clicca qui per essere indirizzato alla scheda sul sito di provenienza

Bene di astegiudiziarie.it