highlight_off
Riferimento annuncio 319543 info

Appartamento Via Cesare Beccaria, 84036 Sala Consilina SA, Italia, 84036 Sala Consilina (SA)

25,00
56,00
0
€ 20.080
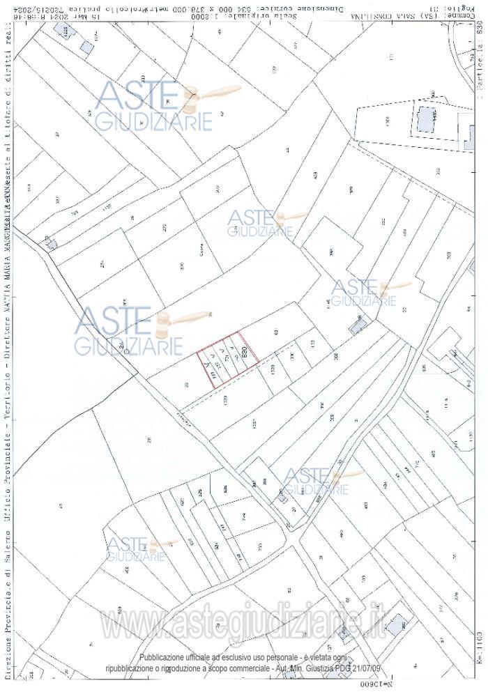
Vendita all'asta Senza incanto, con gara telematica sincrona - LOTTO 1: Fabbricato sito nel comune di Sala Consilina (SA) in Via Cesare Beccaria n.12, individuato catastalmente al foglio n. 46, part.lla n. 1800 SUB 2 E Terreno sito nel Comune di Sala Consilina (SA), individuato catastalmente al foglio n. 46, particella n. 1786 . Prezzo base € 20.079,57 (offerta minima € 15.059,68). Data vendita 08/07/2026 ore 17:00. Professionista delegato alla vendita: Avv. Rossella Roselli - Email "studiolegaleroselli@gmail.com"; Cell. 338/5695949. Rif. Tribunale di Lagonegro - Contenzioso civile n. 1168/2021

Superficie 56,00 mq
Vani 25,00
Bagni
Piano 0

Tipologia di vendita Giudiziaria
Modalità di vendita Sincrona telematica
Termine presentazione offerte 07/07/2026 ore 17:00
Data e ora inizio gara 08/07/2026 ore 17:00
Codice ID astegiudiziarie.it 4339651
25,00
56,00
0
€ 20.080

Ti interessa questa vendita?

north_east

Clicca qui per essere indirizzato alla scheda sul sito di provenienza

Bene di astegiudiziarie.it