Riferimento annuncio 303519
        
    
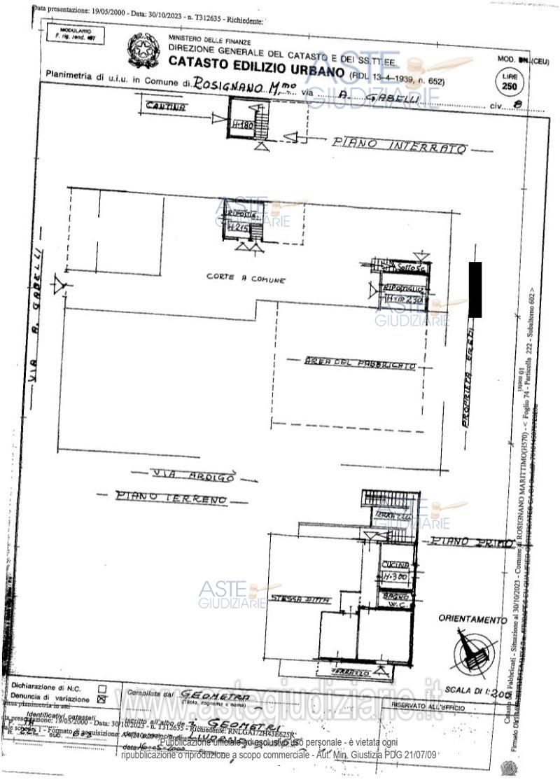
    Appartamento Via A. Gabelli, 8, 57016 Rosignano Solvay-Castiglioncello LI, Italia, 57016 Rosignano Marittimo (LI)
                
                9,00
            
            
                
                140,00
            
            
                
                2
            
            
                
                0
            
        
€ 165.000    
                Vendita all'asta Senza incanto, con gara telematica asincrona - LOTTO UNICO:  Compendio immobiliare costituito da due unità immobiliari con destinazione civile abitazione, compresi accessori, posti al piano primo di un piccolo edificio di due piani fuori terra e da n. 1 garage posto al piano terra. Prezzo base € 165.000,00 (offerta minima € 123.750,00). Data inizio operazioni di vendita: 04/12/2025 ore 15:00. Giudice Dott. Simona Capurso. Professionista delegato alla vendita Not. Marina Pesarin - Email "mpesarin@notariato.it"; Tel. 0586219198. Custode Giudiziario   Istituto Vendite Giudiziarie Di Pisa - Email "prenotazionilivorno@astagiudiziaria.com".  Rif. Tribunale di Livorno - Espropriazione immobiliare (cartabia) n. 72/2023
            
   
| Superficie | 140,00 mq | 
|---|---|
| Vani | 9,00 | 
| Bagni | 2 | 
| Piano | 0 | 
| Tipologia di vendita | Giudiziaria | 
|---|---|
| Modalità di vendita | Asincrona telematica | 
| Termine presentazione offerte | 03/12/2025 ore 12:00 | 
| Data e ora inizio gara | 04/12/2025 ore 15:00 |