highlight_off
Riferimento annuncio 306168 info

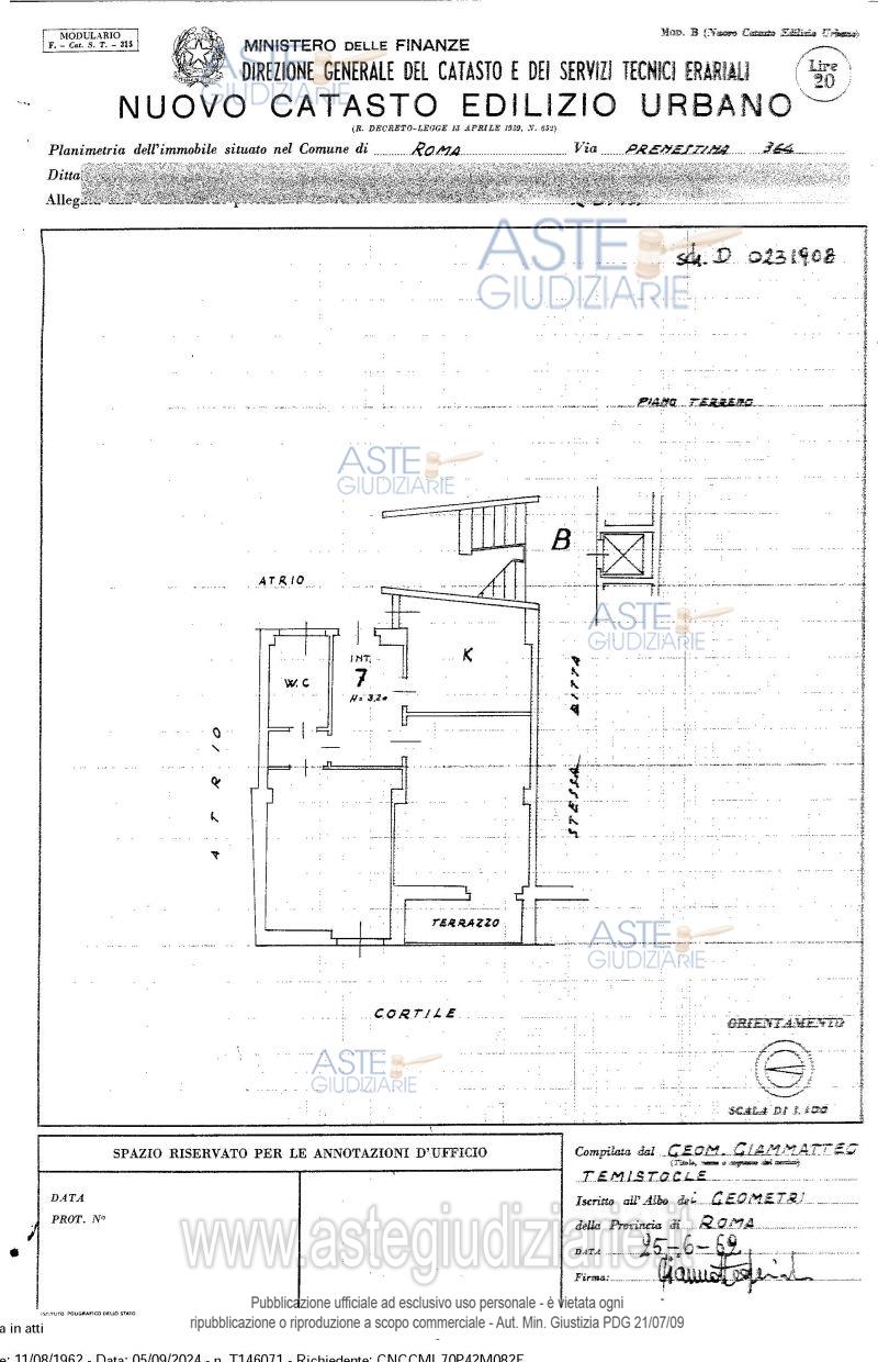
Appartamento Via Prenestina, 364, 00171 Roma RM, Italia, 00100 Roma (RM)

3,50
68,00
2
0
€ 157.600
Vendita all'asta Senza incanto, con gara telematica asincrona - LOTTO UNICO: Piena proprieta` di appartamento ubicato a Roma (RM) - Via Prenestina, n. 364, scala B, interno 7, piano T. Prezzo base € 157.600,00 (offerta minima € 118.200,00). Data inizio operazioni di vendita: 30/10/2025 ore 14:00. Giudice Miriam Iappelli. Professionista delegato alla vendita Not. Giovanni Berionne. Custode Giudiziario I.V.G. Di Roma S.R.L. - Email "pvp@visiteivgroma.it"; Tel. 0689569801. Rif. Tribunale di Roma - Espropriazione immobiliare (cartabia) n. 1206/2023

Superficie 68,00 mq
Vani 3,50
Bagni 2
Piano 0

Tipologia di vendita Giudiziaria
Modalità di vendita Asincrona telematica
Termine presentazione offerte 29/10/2025 ore 23:59
Data e ora inizio gara 30/10/2025 ore 14:00
Codice ID astegiudiziarie.it 4325735
3,50
68,00
2
0
€ 157.600

Ti interessa questa vendita?

north_east

Clicca qui per essere indirizzato alla scheda sul sito di provenienza

Bene di astegiudiziarie.it