highlight_off
Riferimento annuncio 294316 info

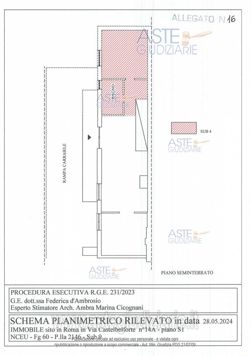
Appartamento Via Castelbelforte, 14, 00188 Roma RM, Italia, 00100 Roma (RM)

3,50
100,50
1
0
€ 143.872
Vendita all'asta Senza incanto, con gara telematica asincrona - LOTTO UNICO: Quota pari a 1/1 del diritto di piena ed intera proprietà su: abitazione sviluppatasi su tre livelli (seminterrato / terra / primo), con annesso giardino pertinenziale e portico, posta in Roma, alla Via Castelbelforte n. 14, identificata con il numero interno 4 e su n. 2 locale garage posti al piano seminterrato del medesimo edificio. Prezzo base € 143.872,00 (offerta minima € 107.904,00). Data inizio operazioni di vendita: 26/11/2025 ore 11:00. Giudice Dott. Federica D'ambrosio. Professionista delegato alla vendita Avv. Angela Sapio. Custode Giudiziario Ivg Di Roma Srl - Email "pvp@visiteivgroma.it"; Tel. 0689569801. Rif. Tribunale di Roma - Esecuzione immobiliare post legge 80 n. 231/2023

Superficie 100,50 mq
Vani 3,50
Bagni 1
Piano 0

Tipologia di vendita Giudiziaria
Modalità di vendita Asincrona telematica
Termine presentazione offerte 01/01/1900 ore 00:00
Data e ora inizio gara 26/11/2025 ore 11:00
Codice ID astegiudiziarie.it 4317365
3,50
100,50
1
0
€ 143.872

Ti interessa questa vendita?

north_east

Clicca qui per essere indirizzato alla scheda sul sito di provenienza

Bene di astegiudiziarie.it