highlight_off
Riferimento annuncio 330327 info

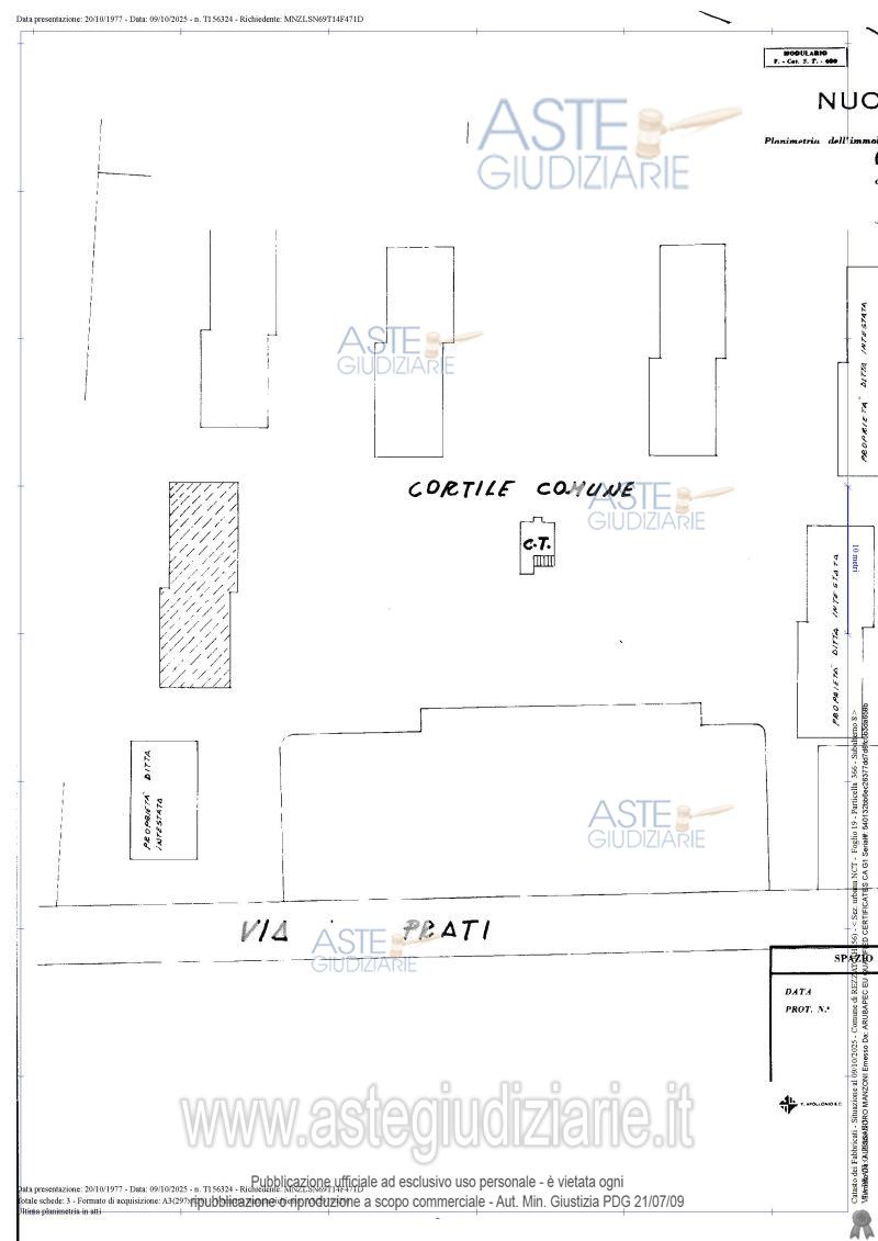
Appartamento Via Prati 6/56, 25086 Rezzato (BS)

97,00
0
€ 52.250
Vendita all'asta Senza incanto, con gara telematica asincrona - LOTTO UNICO: Quota di ½ di proprietà Comune di Rezzato (BS), Via G. Prati n. 54, interno 6 (appartamento) e 13 (autorimessa) Appartamento al terzo piano con cantina e autorimessa, parte di complesso residenziale denominato “Condominio Quartiere S. Anna n°1”. Prezzo base € 52.250,00 (offerta minima € 39.187,50). Data inizio operazioni di vendita: 12/05/2026 ore 12:00. Giudice Simonetta Bruno. Professionista delegato alla vendita Dott. Claudia Fracassi - Email "fracassi@mazzolattifracassi.it". Custode Giudiziario Dott. Claudia Fracassi - Email "fracassi@mazzolettifracassi.it". Rif. Tribunale di Brescia - Espropriazione immobiliare (cartabia) n. 254/2025

Superficie 97,00 mq
Vani
Bagni
Piano 0

Tipologia di vendita Giudiziaria
Modalità di vendita Asincrona telematica
Termine presentazione offerte 01/01/1900 ore 00:00
Data e ora inizio gara 12/05/2026 ore 12:00
Codice ID astegiudiziarie.it 4348197
97,00
0
€ 52.250

Ti interessa questa vendita?

north_east

Clicca qui per essere indirizzato alla scheda sul sito di provenienza

Bene di astegiudiziarie.it