highlight_off
Riferimento annuncio 315056 info

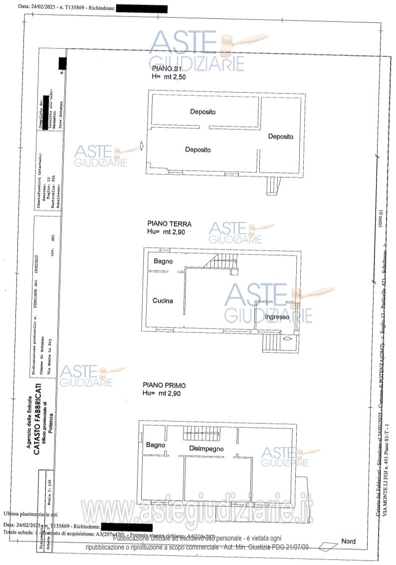
Appartamento Via Monte Li Foj n. 451, 85100 Potenza (PZ)

7,50
1910,00
0
€ 119.531
Vendita all'asta Senza incanto, con gara telematica asincrona - LOTTO UNICO: Nuda proprietà di immobili in Potenza in via Monte Li Foj n.451:1)fabbricato in catasto fabbricati del Comune di Potenza al foglio 13 particella 521; 2)locale deposito in catasto fabbricati del Comune di Potenza al foglio 13 particella 1901; 3)locale deposito in catasto fabbricati del Comune di Potenza al foglio 13 particella 1904; 4)terreno in catasto terreni del Comune di Potenza al foglio 13 particelle: 248, 1900 e 1902; 5) tre fabbricati ricadenti nel terreno individuato con le particelle 1900 e 1902. Prezzo base € 119.531,25 (offerta minima € 89.648,44). Data inizio operazioni di vendita: 14/07/2026 ore 13:00. Giudice: Dott. Annachiara Di Paolo. Professionista delegato alla vendita: Not. Francesco Carretta - Email "fcarretta@notariato.it"; Tel. 0972/83380. Custode Giudiziario: Not. Francesco Carretta - Email "fcarretta@notariato.it"; Tel. 0972/83380. Rif. Tribunale di Potenza - Esecuzione immobiliare post legge 80 n. 98/2024

Superficie 1910,00 mq
Vani 7,50
Bagni
Piano 0

Tipologia di vendita Giudiziaria
Modalità di vendita Asincrona telematica
Termine presentazione offerte 13/07/2026 ore 13:00
Data e ora inizio gara 14/07/2026 ore 13:00
Codice ID astegiudiziarie.it 4335818
7,50
1910,00
0
€ 119.531

Ti interessa questa vendita?

north_east

Clicca qui per essere indirizzato alla scheda sul sito di provenienza

Bene di astegiudiziarie.it