highlight_off
Riferimento annuncio 157695 info

Appartamento contrada Jona, s.n.c, 89024 Polistena (RC)

6,00
129,00
0
€ 16.398
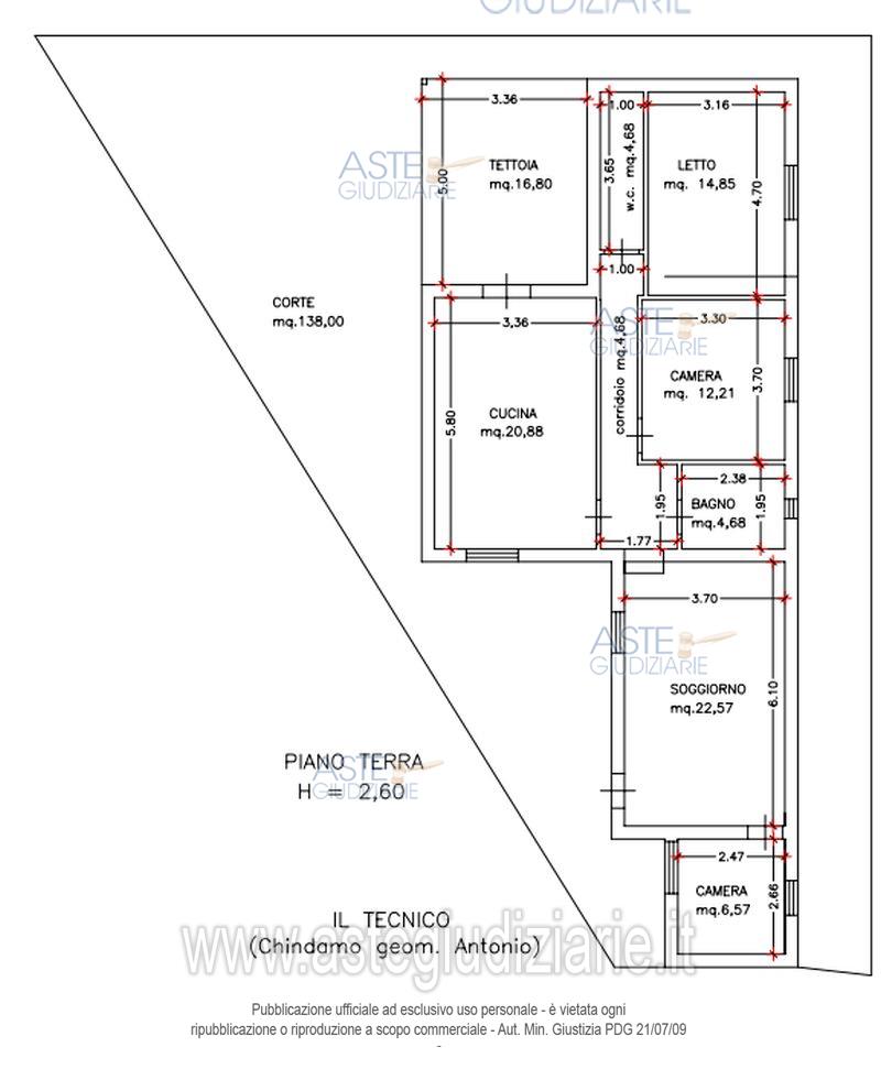
Vendita all'asta Senza incanto, con gara telematica asincrona - LOTTO 1: Appartamento per civile abitazione piano terra, vani 6, superficie catastale mq 129. L’appartamento oggetto dell’esecuzione è ubicato in contrada Jona, s.n.c. in zona periferica, rispetto all’abitato comunale, dove insistono edifici, residenziali, anche di recente realizzazione, L’area è completamente urbanizzata e facilmente accessibile con qualsiasi mezzo. Prezzo base € 16.398,40 (offerta minima € 12.300,00). Data inizio operazioni di vendita: 10/04/2026 ore 16:00. Giudice Dott. Marta Caineri. Professionista delegato alla vendita Avv. Graziella Scionti - Email "avv.scionti@gmail.com"; Tel. 3497109436. Custode Giudiziario Avv. Graziella Scionti - Email "avv.scionti@gmail.com"; Tel. 3497109436. Rif. Tribunale di Palmi - Esecuzione immobiliare post legge 80 n. 4/2020

Superficie 129,00 mq
Vani 6,00
Bagni
Piano 0

Tipologia di vendita Giudiziaria
Modalità di vendita Asincrona telematica
Termine presentazione offerte 01/01/1900 ore 00:00
Data e ora inizio gara 10/04/2026 ore 16:00
Codice ID astegiudiziarie.it 4261625
6,00
129,00
0
€ 16.398

Ti interessa questa vendita?

north_east

Clicca qui per essere indirizzato alla scheda sul sito di provenienza

Bene di astegiudiziarie.it