Riferimento annuncio 312167
        
    
    Appartamento Via Borgo, 65, 95017 Piedimonte Etneo CT, Italia, 95017 Piedimonte Etneo (CT)
                
                4,00
            
            
                
                70,00
            
            
                
                0
            
        
€ 106.500    
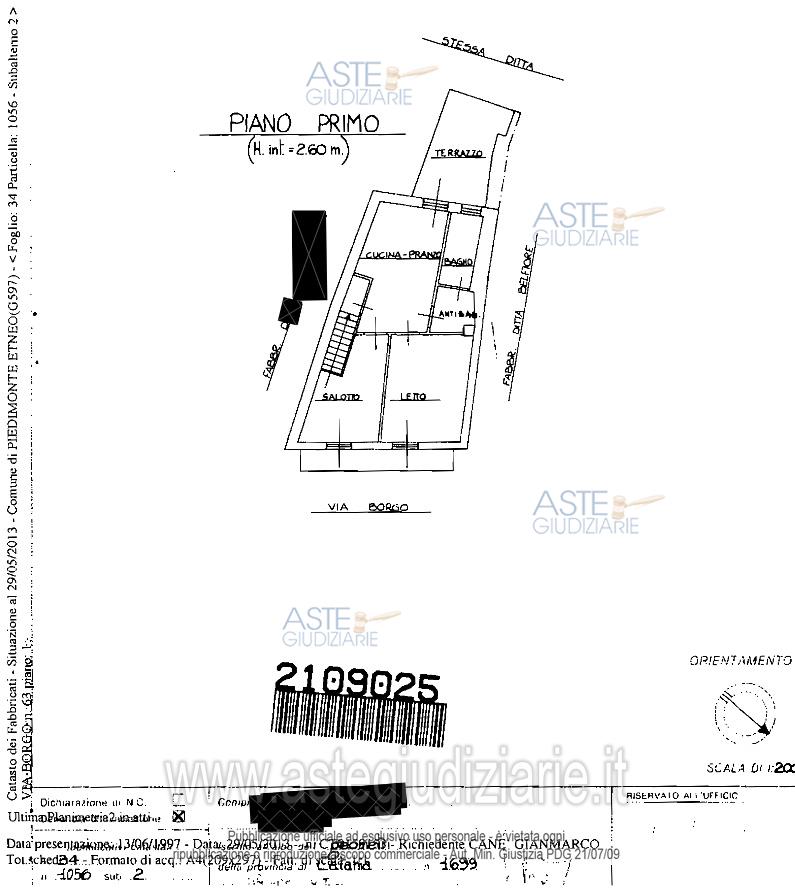
                Vendita in attesa dell'emissione del nuovo bando d'asta. LOTTO UNICO: Fabbricato sito a Piedimonte Etneo, via Borgo n.65, costituito da:a) bottega dislocata al piano terra,  della superficie di mq.70,00, cat. A/3;b) appartamento dislocato al piano primo, della superficie di mq.70 circa, censito in catasto al Fg.34, part.1056, sub.1;c) terreno agricolo incolto, della superficie di circa 463 mq,con accesso sia dalla bottega che dall’appartamento (tramite scala esterna), censito in catasto al Fg.34, part. 1759, vigneto cl.1^, part. 1760, vigneto cl.1^, part. 1761, vigneto cl.1^. Ultimo prezzo base € 106.500,00 (offerta minima € 79.785,00). Professionista delegato alla vendita Avv. Giampiero Maria Trovato - Email "info@studiolegaletrovato.it". Custode Giudiziario  Avv. Giampiero Maria Trovato - Email "info@studiolegaletrovato.it".  Rif. Tribunale di Catania - Esecuzione immobiliare post legge 80 n. 615/2011
            
   
| Superficie | 70,00 mq | 
|---|---|
| Vani | 4,00 | 
| Bagni | |
| Piano | 0 | 
| Tipologia di vendita | Giudiziaria | 
|---|---|
| Modalità di vendita | Presso il venditore | 
| Termine presentazione offerte | 01/01/1900 ore 00:00 | 
| Data e ora inizio gara | 21/10/2025 ore 18:30 | 
 
                         
                         
                         
                         
                         
                         
                         
                         
                         
                         
                         
                         
                         
                        