highlight_off
Riferimento annuncio 324733 info

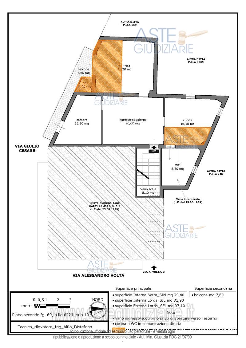
Appartamento Via Alessandro Volta 3, 95047 Paternò (CT)

3,50
84,00
1
0
€ 24.200
Vendita all'asta Senza incanto, con gara telematica sincrona mista - LOTTO UNICO: Appartamento al piano secondo di vani 3,5. Prezzo base € 24.200,00 (offerta minima € 18.150,00). Data vendita 08/04/2026 ore 09:30. Giudice Dott. Maria Angela Chisari. Professionista delegato alla vendita Avv. Gaetano Passanisi. Custode Giudiziario Avv. Gaetano Passanisi - Email "gaetanopassanisi@hotmail.it". Rif. Tribunale di Catania - Esecuzione immobiliare post legge 80 n. 377/2022

Superficie 84,00 mq
Vani 3,50
Bagni 1
Piano 0

Tipologia di vendita Giudiziaria
Modalità di vendita Sincrona mista
Termine presentazione offerte 01/01/1900 ore 00:00
Data e ora inizio gara 08/04/2026 ore 09:30
Codice ID astegiudiziarie.it 4343158
3,50
84,00
1
0
€ 24.200

Ti interessa questa vendita?

north_east

Clicca qui per essere indirizzato alla scheda sul sito di provenienza

Bene di astegiudiziarie.it