highlight_off
Riferimento annuncio 285346 info

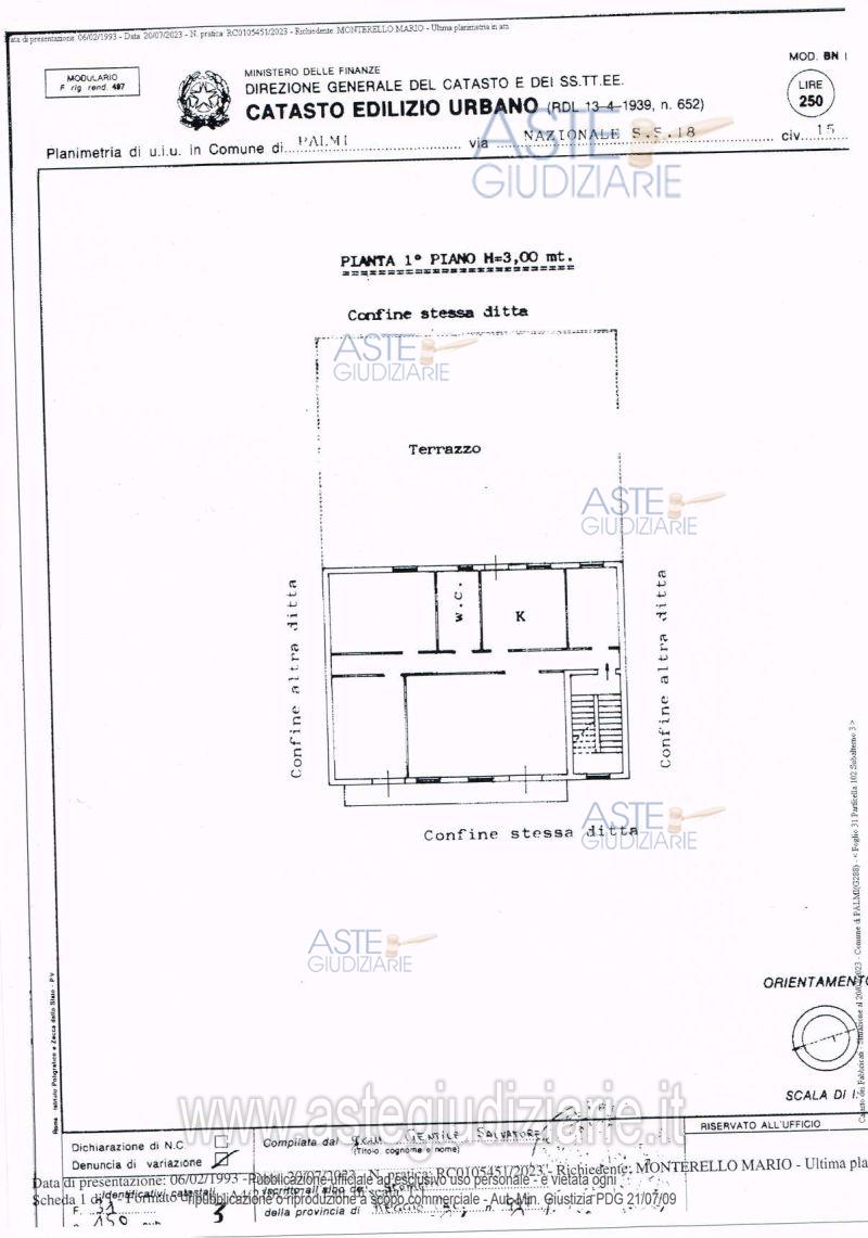
Appartamento via Nazionale 15, 89015 Palmi (RC)

6,50
154,00
0
€ 50.053
Vendita all'asta Senza incanto, con gara telematica asincrona - LOTTO Unico: Abitazione di tipo economico, con annesso terrazzo a livello, posta al primo piano. Diritti: nuda proprietà 1/1. Prezzo base € 50.053,40 (offerta minima € 37.540,05). Data inizio operazioni di vendita: 14/07/2026 ore 09:00. Professionista delegato alla vendita: Avv. Maria Stefania Filippone - Cell. 340/2810328. Rif. Tribunale di Palmi - Esecuzione immobiliare post legge 80 n. 19/2023

Superficie 154,00 mq
Vani 6,50
Bagni
Piano 0

Tipologia di vendita Giudiziaria
Modalità di vendita Asincrona telematica
Termine presentazione offerte 01/01/1900 ore 00:00
Data e ora inizio gara 14/07/2026 ore 09:00
Codice ID astegiudiziarie.it 4312536
6,50
154,00
0
€ 50.053

Ti interessa questa vendita?

north_east

Clicca qui per essere indirizzato alla scheda sul sito di provenienza

Bene di astegiudiziarie.it