highlight_off
Riferimento annuncio 322562 info

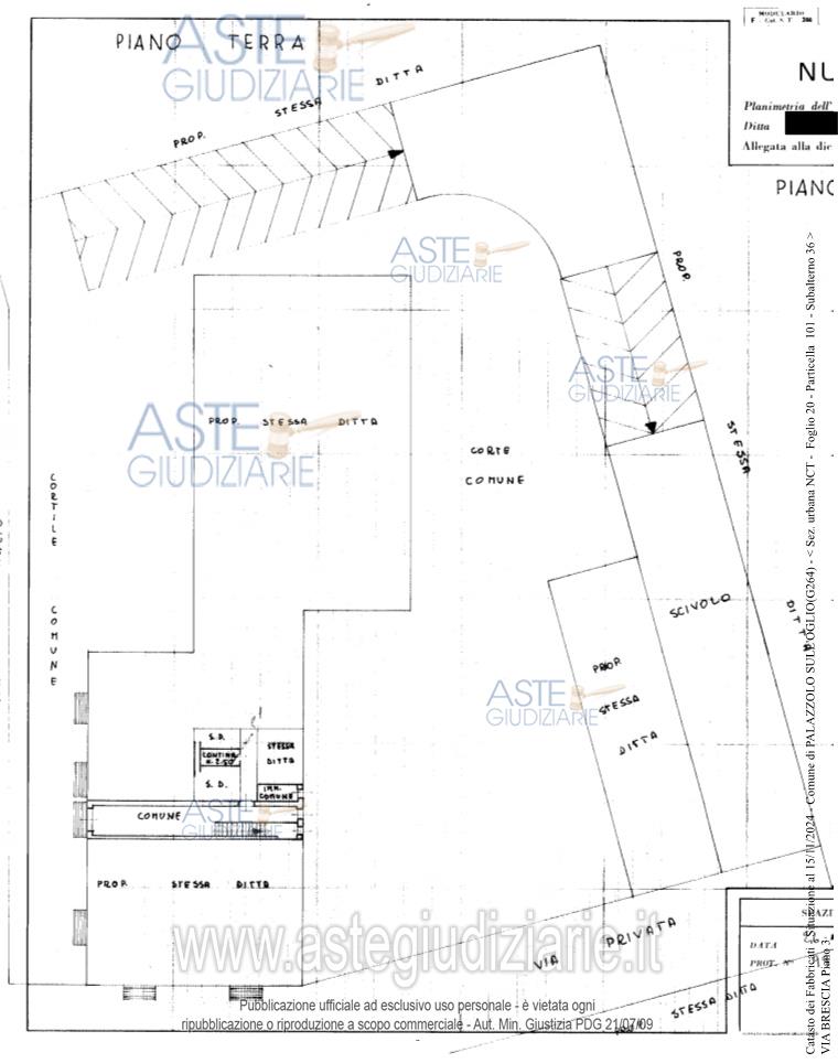
Appartamento Via Brescia, 25036 Palazzolo sull'Oglio (BS)

0
€ 65.000
Vendita all'asta Competitiva, con gara telematica asincrona - LOTTO 1: LOTTO 1Piena proprietà.In Comune di PALAZZOLO SULL’OGLIO (BS) – Via BresciaTrattasi di appartamento posto al piano terzo di condominio plurifamiliare. Prezzo base € 65.000,00 (offerta minima € 65.000,00). Data inizio operazioni di vendita: 21/01/2026 ore 10:00. Professionista delegato alla vendita Not. Roberto Forino - Email "credenzialiaste@gmail.com". Rif. Tribunale di Brescia - Liquidazione controllata(cci) n. 72/2025

Superficie mq
Vani
Bagni
Piano 0

Tipologia di vendita Giudiziaria
Modalità di vendita Asincrona telematica
Termine presentazione domande 20/01/2026 ore 12:00
Data e ora inizio gara 21/01/2026 ore 10:00
Codice ID astegiudiziarie.it 4342299
0
€ 65.000

Ti interessa questa vendita?

north_east

Clicca qui per essere indirizzato alla scheda sul sito di provenienza

Bene di astegiudiziarie.it