highlight_off
Riferimento annuncio 134500 info

Appartamento C.da Fonti località Cardogna, 84034 Padula (SA)

10,50
10000,00
2
€ 169.918
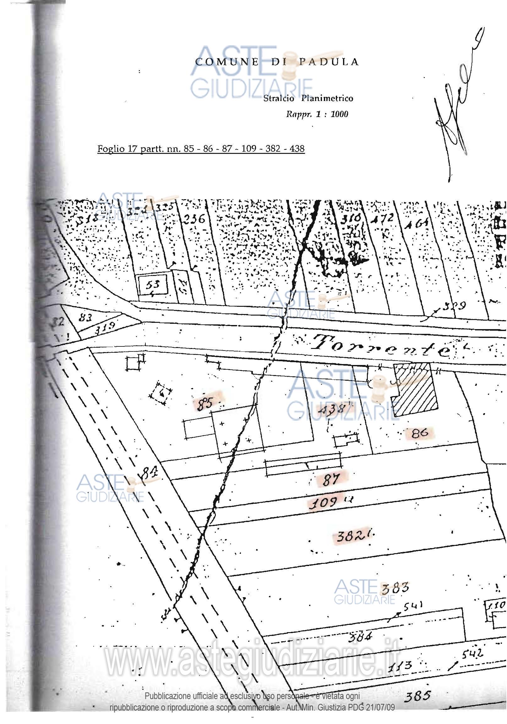
Vendita all'asta Competitiva - LOTTO 1: Complesso immobiliare in Padula (SA) localita' Cardogna/Fonti S.S.19 composto da impianto artigianale Categ. D/7 e abitazione su due livelli Categ. A/7 vani 10,5 oltre Categ. D/1 oltre terreni contigui . Prezzo base € 169.918,00 (offerta minima € 169.918,00). Data vendita 30/01/2026 ore 10:00. Giudice Dott. Giuliana Santa Trotta. Curatore Dott. Michele Iuliano - Email "dott.micheleiuliano@gmail.com"; Cell. 3477062963; Tel. 0818141646. Rif. Tribunale di Lagonegro - Fallimentare (nuovo rito) n. 8/2015

Superficie 10000,00 mq
Vani 10,50
Bagni
Piano 2

Tipologia di vendita Giudiziaria
Modalità di vendita Presso il venditore
Termine presentazione domande 01/01/1900 ore 00:00
Data e ora inizio gara 30/01/2026 ore 10:00
Codice ID astegiudiziarie.it 1458434
10,50
10000,00
2
€ 169.918

Ti interessa questa vendita?

north_east

Clicca qui per essere indirizzato alla scheda sul sito di provenienza

Bene di astegiudiziarie.it