highlight_off
Riferimento annuncio 310140 info

Appartamento Corso della Vittoria, 17, 28100 Novara NO, Italia, 28100 Novara (NO)

4
€ 91.000
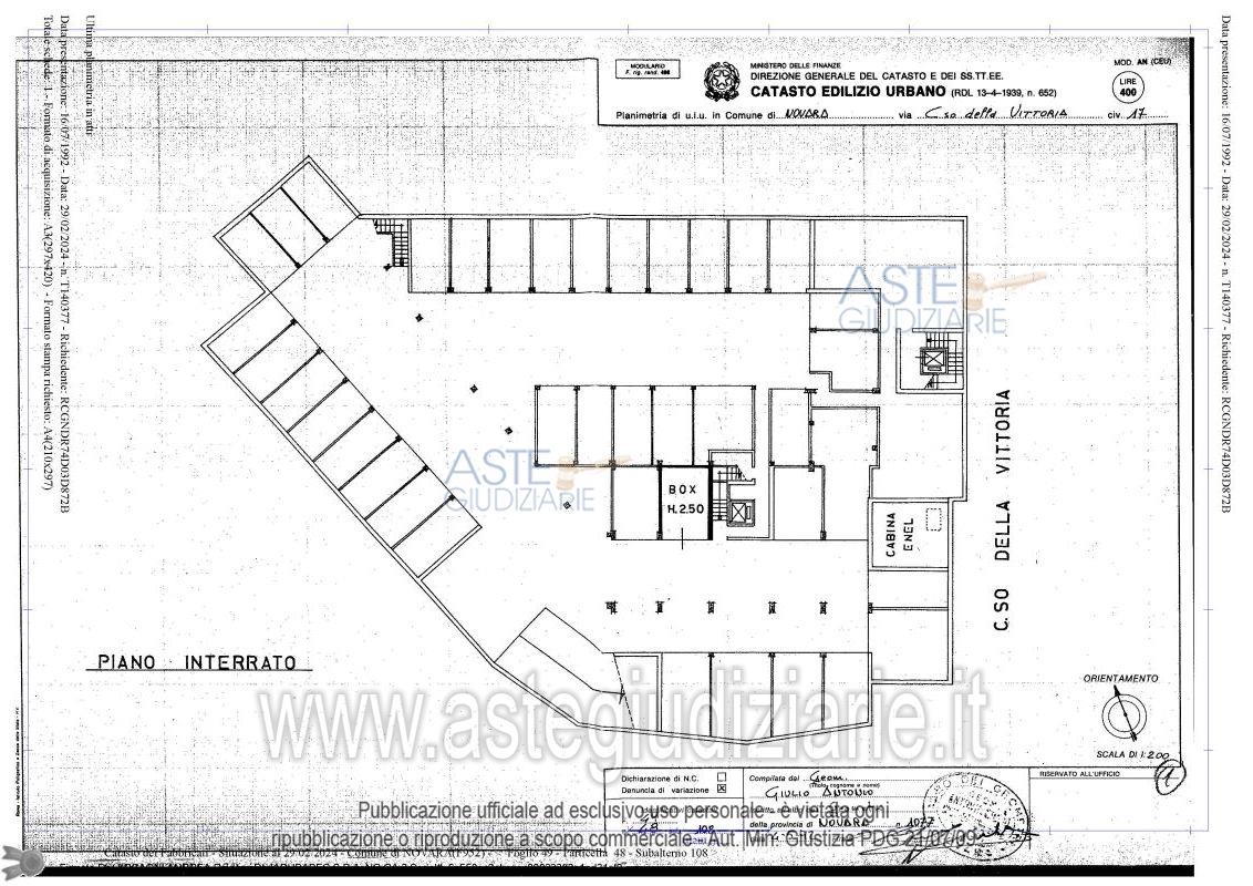
Vendita in attesa dell'emissione del nuovo bando d'asta. LOTTO UNICO: Piena proprietà di 1/1 di appartamento cantina autorimessa e posto auto scoperto siti in Novara (NO) in Corso della Vittoria n. 17-17/b e ingresso carraio al 15/e.L’appartamento al P-4 in fabbricato condominiale è costituito da cucina soggiorno disimpegno 2camere 2bagni 2balconi. Sono presenti 3ripostigli esterni posizionati sui balconi. Il box accessibile dalla rampa carrabile dal civico 15/e e dal vano scala comune. Il posto auto scoperto è distinto con il n. 14 non accatastato ma pertinenziale. Ultimo prezzo base € 91.000,00 (offerta minima € 68.250,00). Giudice Veronica Zanin. Professionista delegato alla vendita Avv. Monica Vailati - Email "segreteria@davnovara.it". Custode Giudiziario Lorenzo Vigone - Email "richiestevisite.novara@ivgpiemonte.it"; Tel. 0321628676. Rif. Tribunale di Novara - Esecuzione immobiliare post legge 80 n. 85/2022

Superficie mq
Vani
Bagni
Piano 4

Tipologia di vendita Giudiziaria
Modalità di vendita Asincrona telematica
Termine presentazione offerte 30/09/2025 ore 12:00
Data e ora inizio gara 01/10/2025 ore 12:00
Codice ID astegiudiziarie.it 4331504
4
€ 91.000

Ti interessa questa vendita?

north_east

Clicca qui per essere indirizzato alla scheda sul sito di provenienza

Bene di astegiudiziarie.it